2026-05-04 02:24:39
2026-05-04 02:24:39

Muere elotero atropellado por camioneta

Por Redacción/Zunoticia Huejutla, Hgo. – Hombre que fue atropellado junto a su hijo por una camioneta particular cuando regresaban de vender elotes, perdió la vida horas después en el hospital. Los hechos ocurrieron la noche del viernes sobre la colonia Linda Vista, cuando se suscitó una fuerte movilización policíaca y de paramédicos, luego de que… Seguir leyendo Muere elotero atropellado por camioneta

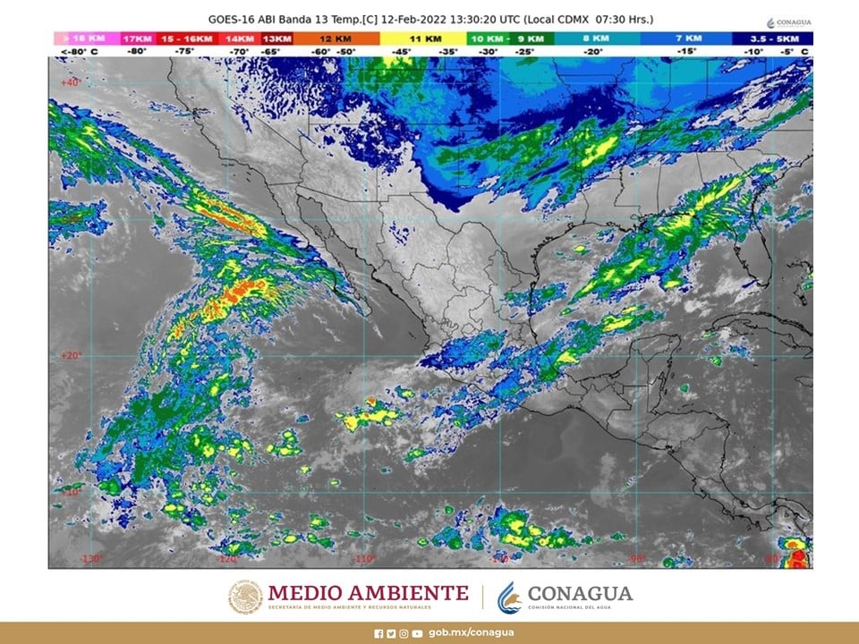
El Frente Frío No. 29 generará lluvias, marcado descenso de temperatura, fuertes vientos y caída de nieve o aguanieve

Se prevé un marcado descenso de la temperatura y heladas sobre regiones montañosas del norte, noreste, centro y oriente de México. Se pronostican lluvias, fuertes rachas de viento y oleaje elevado para las costas de Tamaulipas y Veracruz. Redacción/Zunoticia Ciudad de México. – Para este sábado el Frente Frío Número 29 se extenderá sobre el… Seguir leyendo El Frente Frío No. 29 generará lluvias, marcado descenso de temperatura, fuertes vientos y caída de nieve o aguanieve

ESPEJEANDO Por Perseo

Regresamos a la Revocación de Mandato, mientras un color político se quiere colgar una medalla de un reclamo que los ciudadanos instrumentaron desde los años setentas, ochentas y noventas, una incesante lucha política por esta potestad ciudadana de decidir con instrumentos legales quién sirve y quien no en la función pública. Hoy que se atrevió… Seguir leyendo ESPEJEANDO Por Perseo

“Recibirán a Bombarderos”

Por José Luis Romero/ZunoticiaHuejutla, Hgo.- Los Tordos del Atlético Huejutla recibirán a Bombarderos de Tecámac en la unidad deportiva “El Imperio” a las 15:00 horas, en el duelo de la jornada 19 del grupo 8 del torneo Clausura 2021 – 2022 de la Tercera División Profesional (TDP).