2026-04-24 02:21:41
2026-04-24 02:21:41

Espejeando Por Perseo

Lamentable noticia con la que ayer pudimos dar cuenta con el asesinato de dos compañeros reporteros del estado de Veracruz, Yasenia Mollinedo y Sheila Joana García, en un ataque a balazos tras salir de una tienda de conveniencia en Cosoleacaque, Veracruz. Se inició la carpeta de investigación e incluyen la actividad periodística, siendo este el… Seguir leyendo Espejeando Por Perseo

En borrachera fue atacado brutalmente por su compañero

Con heridas producidas por navaja fue hospitalizado J. N, víctima de Said N. quien bajo los efectos de bebidas embriagantes lo atacó Por Moisés Medrano/Zunoticia Tlanchinol, Hgo.- Con heridas punzocortantes en el rostro, al parecer con arma blanca en su parietal derecho y desprendimiento de oreja y parte de su cachete, resultó la  víctima de… Seguir leyendo En borrachera fue atacado brutalmente por su compañero

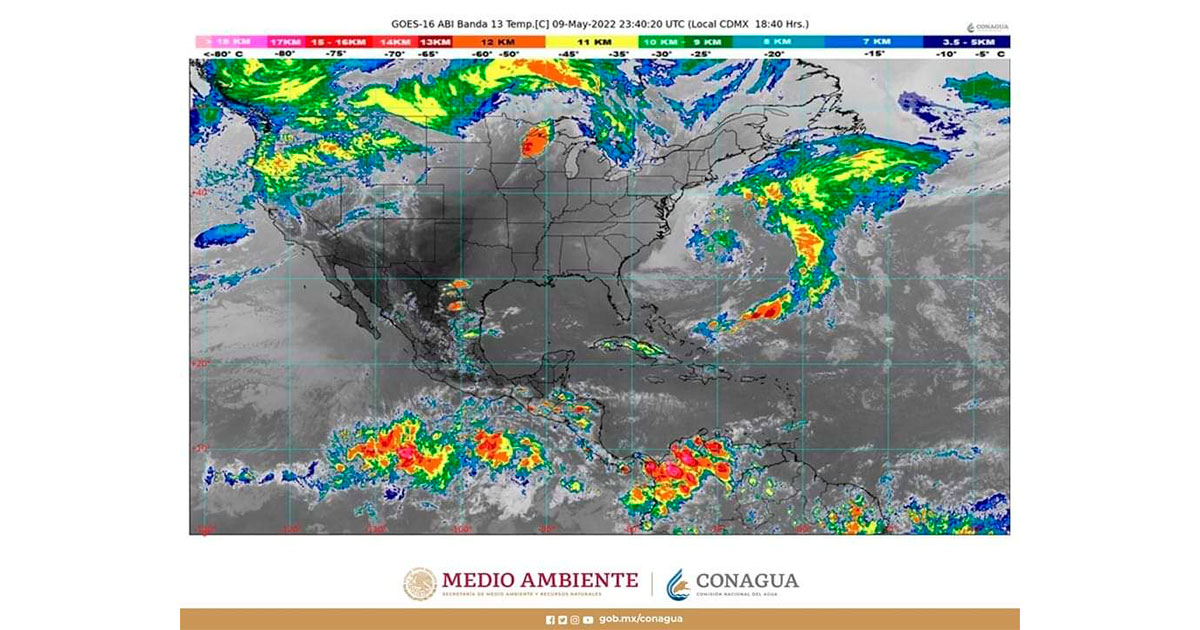
Esta noche se pronostican lluvias muy fuertes en Chiapas y fuertes en Nuevo León, San Luis Potosí y Tamaulipas

El martes se esperan lluvias, fuertes rachas de viento y posibles torbellinos o tornados en Chihuahua, Coahuila, el norte Nuevo León y noroeste Tamaulipas. Se mantendrá la onda de calor en la mayor parte de la República Mexicana. Por Redacción/Zunoticia Ciudad de México.- Para la noche de hoy y la madrugada del martes, se pronostican… Seguir leyendo Esta noche se pronostican lluvias muy fuertes en Chiapas y fuertes en Nuevo León, San Luis Potosí y Tamaulipas

Equipo de Julio Menchaca presenta propuestas de seguridad y economía

Por Redacción/Zunoticia Pachuca, Hgo. Natividad Castrejón Valdez, coordinador general de las actividades de campaña de la candidatura común “Juntos Hacemos Historia”, destacó en rueda de prensa que a través del portal de internet: dialogos.juliomenchaca.com, se han publicado las primeras Estrategias Estatales para la Transformación, que enmarcan el programa de gobierno del aspirante a la gubernatura,… Seguir leyendo Equipo de Julio Menchaca presenta propuestas de seguridad y economía

Detienen a ebrio con arma blanca

Por Redacción/Zunoticia Huejutla, Hgo.- Sujeto presuntamente bajo los efectos del alcohol fue detenido por elementos de seguridad pública, luego que fuera reportado con un arma blanca. Los hechos ocurrieron en el transcurso de la noche del lunes sobre el callejón de la Av. México, cuando comerciantes de esa zona pidieron el apoyo de las autoridades… Seguir leyendo Detienen a ebrio con arma blanca

Taxista chocó por alcance

Por Redacción/Zunoticia Huejutla, Hgo.- Aparatoso choque dejó como saldo daños materiales en la parte frontal de un vehículo del transporte público en modalidad de taxi, el cual se impactó contra un camión. Los hechos ocurrieron durante el transcurso de la tarde del lunes sobre el bulevar Adolfo López Mateos de la colonia Aviación Civil a… Seguir leyendo Taxista chocó por alcance

Movilización policíaca por presunto robo a cajero

Por Redacción/Zunoticia Huejutla, Hgo.- Elementos de Seguridad Pública Municipal y Estatal se movilizaron, luego de que presuntamente se reportara el robo a un cajero automático por un sujeto desconocido. Los hechos ocurrieron durante el transcurso del día sobre la Av. Corona del Rosal, a la altura de la Comisión Federal de Electricidad, cuando a través… Seguir leyendo Movilización policíaca por presunto robo a cajero

La cultura de la sana distancia no ha sido respetada

Por Pedro Luciano/Zunoticia Tlanchinol, Hgo.- Luego de que hayan pasado tres repuntes de contagios, mejor conocidos como olas epidemiológicas en todo el mundo, la sana distancia y el respeto a las medidas de prevención, son ignorados en ciertos sectores de la población ya que desde el inicio de la pandemia hasta su aparente calma se… Seguir leyendo La cultura de la sana distancia no ha sido respetada

Se invita a la población ganadera a participar en talleres virtuales

Por Pedro Luciano/Zunoticia Tlanchinol, Hgo.- La administración Pública Municipal, a través de las áreas de Proyectos Productivos y de Planeación y Desarrollo Social, manifiesta que en el transcurso del mes se continuarán desarrollando los foros dirigidos a personas que se dedican a la crianza o cuidado de ganado, o bien, ejerzan profesiones relacionadas con el… Seguir leyendo Se invita a la población ganadera a participar en talleres virtuales

Llaman a participar en Serial Huasteco de Ciclismo

Por Ángel Silverio/Zunoticia Jaltocán, Hgo.- El grupo de ciclistas Guadalupanos Cholos Bike dio a conocer que ya fue lanzada la convocatoria para todos aquellos amantes del ciclismo en la región huasteca, para participar en el primer Serial Huasteco que se estará llevando a cabo en el municipio, por lo que la convocatoria ya quedó abierta… Seguir leyendo Llaman a participar en Serial Huasteco de Ciclismo