2026-04-22 02:21:35
2026-04-22 02:21:35

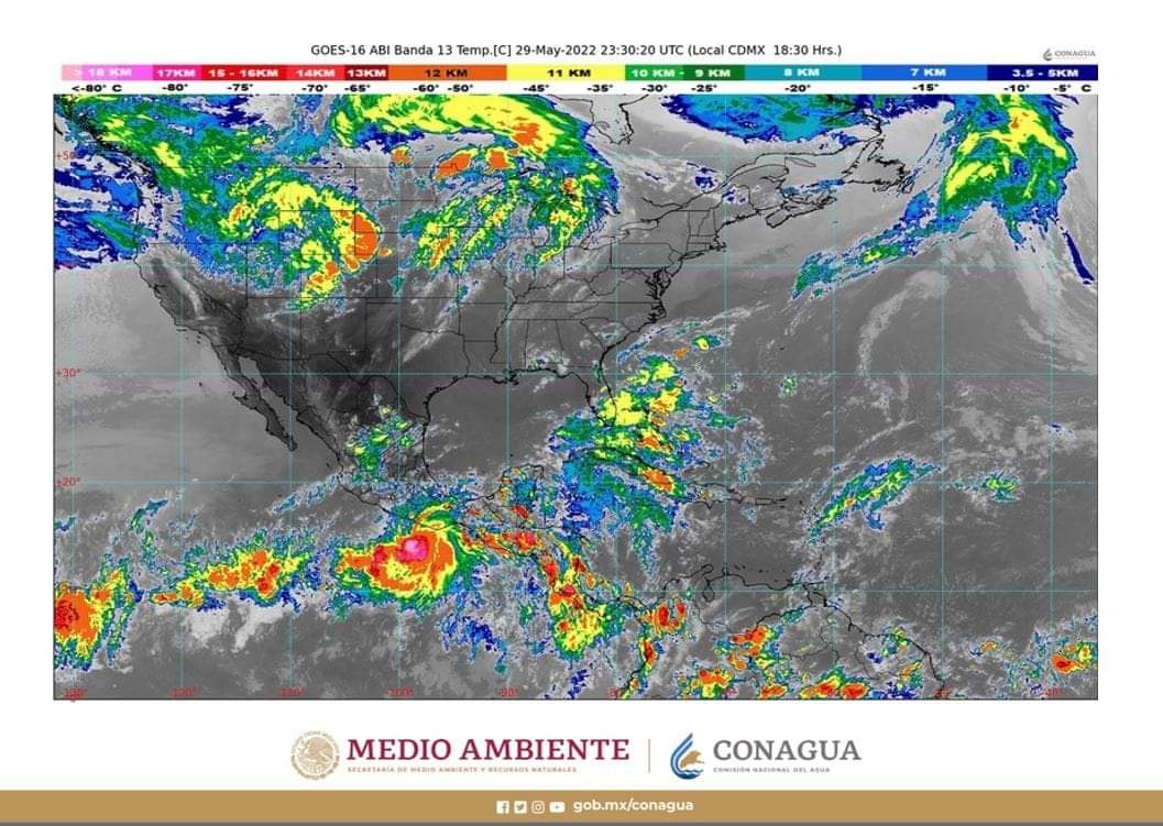
La amplia circulación del huracán Agatha de categoría 2 genera lluvias puntuales intensas en Chiapas, Guerrero y Oaxaca

El ciclón, también origina rachas fuertes de viento de 70 a 80 km/h y oleaje de 4 a 6 metros en las costas de Guerrero y Oaxaca. Mañana se esperan lluvias extraordinarias en áreas de Oaxaca, y puntuales intensas en Chiapas, el oriente de Guerrero y sur de Veracruz. Por Redacción/Zunoticia Ciudad de México.- A… Seguir leyendo La amplia circulación del huracán Agatha de categoría 2 genera lluvias puntuales intensas en Chiapas, Guerrero y Oaxaca

Pobladores piden se realicen acciones para restauran las condiciones del río

Por Pedro Luciano/Zunoticia Atlapexco, Hgo.- Pobladores residentes de la cabecera municipal han manifestado que después de haberse realizado las fiestas concernientes a las fiestas de Semana Santa y las remodelaciones realizadas en la denominada “playa mamitas” son notorios los efectos en el río. Refirieron que es importante que se tomen las acciones necesarias por parte… Seguir leyendo Pobladores piden se realicen acciones para restauran las condiciones del río

PC advierte sobre calor en la región

Por Pedro Luciano/Zunoticia Atlapexco, Hgo.- Personal perteneciente al área de Protección Civil del ayuntamiento municipal advierte sobre el intenso calor que se ha presentado en la región, el cual tiende a poner en riesgo de presentar insolación o golpe de calor entre los sectores más vulnerables en la región, tales como son los menores de… Seguir leyendo PC advierte sobre calor en la región

Ubicarán depósitos para Pet en lugares estratégico del mercado municipal

Por Salvador Altamirano/Zunoticia Huejutla, Hgo.- El Secretario General de Ecología y Sustentabilidad Municipal, Gabriel Hernández Romero, manifestó que en el marco del nuevo sistema de recolección de basura en el mercado, en fecha próxima ubicarán depósitos para Pet en lugares estratégicos del perímetro del inmueble. Agregó que de manera simultánea también colocarán cestos en el… Seguir leyendo Ubicarán depósitos para Pet en lugares estratégico del mercado municipal

Canasta básica en Atlapexco se mantiene al alza

Por Pedro Luciano/Zunoticia Atlapexco, Hgo.-  Una de las preocupaciones más constantes entre las familias atlapexquenses es el alza en los precios de los alimentos que se utilizan en la vida cotidiana, por ser los más utilizados, pues la canasta básica en el transcurso de este año 2022 se ha visto afectada por el constante incremento.… Seguir leyendo Canasta básica en Atlapexco se mantiene al alza

Abierta inscripción para cirugías gratuitas

Por Redacción/Zunoticia Huautla, Hgo. – El Sistema DIF municipal de este sitio mantiene abiertas las inscripciones para las campañas de cirugías gratuitas de cataratas, rodilla y cadera que ya en fecha próxima habrán de realizarse en apoyo a los huautlenses que requieran este servicio. En ese sentido, se invita a la ciudadanía en general a… Seguir leyendo Abierta inscripción para cirugías gratuitas

Cabalgata por los festejos de la Ascensión del Señor

Alcalde encabezó cabalgata el pasado sábado.

Por Roberto Meza/Zunoticia Huazalingo, Hgo.- El pasado sábado el presidente municipal encabezó una cabalgata desde la caseta de vigilancia en límites de Tehuetlán hacia la cabecera municipal de Huazalingo, en donde participó un importante número de contingentes en el marco de los festejos de la Ascensión del señor. El punto de reunión fue a la… Seguir leyendo Cabalgata por los festejos de la Ascensión del Señor

Exhorta PC a comerciantes a tener extintores

Por Redacción/Zunoticia Huautla, Hgo. – La dirección de Protección civil municipal exhortó a los comerciantes ambulantes y establecidos a contar con un extintor para que ante ser alguna emergencia, que por fuego, llegara a presentarse en sus espacios de trabajo se pueda actuar de inmediato. Lo anterior, como parte de las acciones de prevención y… Seguir leyendo Exhorta PC a comerciantes a tener extintores

Arrojará buenos resultados el trabajo en unidad en el PRI

Abelino Bautista Hernández, dirigente del PRI.

Por Roberto Meza/Zunoticia Yahualica, Hgo.- El dirigente del PRI, Abelino Bautista Hernández, dijo que arrojará buenos resultados el trabajo en unidad de todos los priístas de este municipio en estas elecciones, por lo que invitó a todos los actores políticos a que sigan trabajando para ello. Al hablar de este tema comentó que como todo… Seguir leyendo Arrojará buenos resultados el trabajo en unidad en el PRI

Continúan tianguistas de comunidades laborando aledaño a promontorio de desechos sólidos

Siguen prevaleciendo los domingos promontorios de basura debajo del puente de la Tolva.

Por Salvador Altamirano/Zunoticia Huejutla, Hgo.- No obstante que ayer (sábado) personal adscrito a la dependencia de Limpia Pública Municipal, lavó el espacio de recolección de basura que se encuentra debajo del puente de la Tolva, este día nuevamente había un promontorio de desechos sólidos. Al respecto, vendedores de productos agrícolas provenientes de comunidades que los… Seguir leyendo Continúan tianguistas de comunidades laborando aledaño a promontorio de desechos sólidos