2026-04-24 02:21:41
2026-04-24 02:21:41

Trabajadores de la cuchara grande arriesgan sus vidas

Albañiles arriesgan sus vidas.

Por Francisco Rosas/Zunoticia Huejutla, Hgo.- Trabajadores de la cuchara grande que realizan trabajos de en varios puntos de la ciudad, arriesgan sus vidas debido a que no cuentan con la más mínima medida de seguridad por parte de sus patrones, por lo que es necesario que los  albañiles reciban mejores condiciones de trabajo. Juan Antonio… Seguir leyendo Trabajadores de la cuchara grande arriesgan sus vidas

Se invita a usuarios de motocicletas a utilizar casco de seguridad

Por Pedro Luciano/Zunoticia Tlanchinol, Hgo.- Siendo necesaria una correcta circulación en el municipio, la administración Pública Municipal, a través del área de seguridad pública, continúa invitando a la población que se desplaza abordo de motocicletas a que acate las indicaciones de tránsito municipal, concernientes al reglamento. Refirió personal del área de Seguridad Pública que es… Seguir leyendo Se invita a usuarios de motocicletas a utilizar casco de seguridad

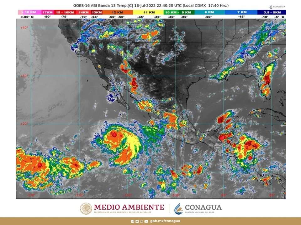
Se pronostican lluvias muy fuertes para Guanajuato, Jalisco, Michoacán, Nayarit, Sinaloa y Sonora 

A partir de mañana, martes, se espera un aumento gradual en las temperaturas máximas sobre la mayor parte de México. Por Redacción/Zunoticia Ciudad de México.- En las próximas horas, un canal de baja presión extendido sobre el occidente y centro de México, en combinación con la entrada de humedad generada por el huracán Estelle, propiciará… Seguir leyendo Se pronostican lluvias muy fuertes para Guanajuato, Jalisco, Michoacán, Nayarit, Sinaloa y Sonora 

Llevarán a cabo Jornada Medica en Tlanchinol

Por Pedro Luciano/Zunoticia Tlanchinol, Hgo.- Siendo necesarias las actividades para el beneficio de la población mayormente necesitada del municipio, la administración pública de Tlanchinol, Hidalgo; a través del Sistema local DIF y está en coordinación con la fundación “Efesions C.A.” llevará a cabo una jornada médica en la comunidad de Santa María. Refirió el subdirector… Seguir leyendo Llevarán a cabo Jornada Medica en Tlanchinol

“No se ha bajado la guardia para despejar calles aledañas al mercado”

Por Enedino Hernández/Zunoticia Huejutla, Hgo.- “Definitivamente que no hemos bajado la guardia para despejar las calles aledañas a la zona del mercado, todo el personal sigue trabajando estratégicamente en este aspecto”, señaló el director de Reglamentos de la presidencia municipal de Huejutla de Reyes, Miguel Ángel Vargas Castelán. Reconoció que, personal a su cargo se… Seguir leyendo “No se ha bajado la guardia para despejar calles aledañas al mercado”

Profesores participaron en reunión de actividades educativas de fin de cursos

Por Roberto Meza/Zunoticia Huejutla, Hgo.- Profesores de educación primaria indígena de la huasteca, este lunes participaron en una reunión de actividades de fin de cursos, con el propósito de dar a conocer los resultados que tuvieron este año y las acciones que habrán de realizar este fin de ciclo escolar. En esta reunión de estructura… Seguir leyendo Profesores participaron en reunión de actividades educativas de fin de cursos

Piden circular con precaución en crucero para evitar daños al municipio

 Por Ángel Silverio/Zunoticia San Felipe Orizatlán, Hgo.-  La Secretaría de Seguridad Pública y Tránsito Municipal hizo un llamado a los conductores de unidades pesadas, a circular con extrema precaución sobre el crucero de esta demarcación, con el fin de evitar que causen daños a los semáforos y postería que se encuentra en este lugar. Lo… Seguir leyendo Piden circular con precaución en crucero para evitar daños al municipio

Jóvenes de Tlanchinol participan en visorías de fútbol

Por Pedro Luciano/Zunoticia Tlanchinol, Hgo.- Con el apoyo del presidente Marcos Bautista Medina, el pasado Viernes 8 de Julio el área COMUDE dirigida por el coordinador Armando Montiel, organizó la participación de Ángel Geisel Montiel Bustos y Ángel Tadeo Bustos Vázquez, jóvenes ciudadanos de la cabecera municipal, en una actividad de visorías de fútbol que… Seguir leyendo Jóvenes de Tlanchinol participan en visorías de fútbol

Dueño de veterinaria habla sobre la denuncia sobre maltrato animal

Por Pedro Luciano/Zunoticia Tlanchinol, Hgo.- Luego de que el domingo circulará en redes sociales un vídeo donde se observara a una persona, del sexo masculino, practicando lo que pareciera ser un proceso de castración a un canino dentro de una veterinaria que tiene como nombre “la Serrana”, ubicada en el barrio centro de la cabecera… Seguir leyendo Dueño de veterinaria habla sobre la denuncia sobre maltrato animal

Conmemoran 150 aniversario luctuoso de Benito Juárez García

Por Redacción/Zunoticia San Felipe Orizatlán, Hgo.- La mañana de este lunes, autoridades municipales realizaron el izamiento a la bandera y posteriormente la colocación de una ofrenda floral y guardia de honor a los pies del monumento a Benito Juárez García, en el marco del 150 aniversario luctuoso del Benemérito de las Américas. En la ceremonia… Seguir leyendo Conmemoran 150 aniversario luctuoso de Benito Juárez García