2026-05-17 02:27:04
2026-05-17 02:27:04

Espejeando Por Perseo

• El gobernador electo de Hidalgo Julio Menchaca Salazar, presentó un organismo para fomentar inversión, empleo y crecimiento económico. • Con la presencia del subsecretario de Industria, Comercio y Competitividad de la Secretaría de Economía del Gobierno Federal, Héctor Guerrero Herrera, hicieron público el Consejo Regional para el Fomento a la Inversión, el Empleo y… Seguir leyendo Espejeando Por Perseo

Por poco se matan al caer de motoneta

Por Redacción/Zunoticia Huejutla, Hgo.- Dos jóvenes que viajaban en una motoneta, sufrieron un aparatoso accidente la noche de este miércoles en la carretera estatal Huejutla-Chalahuiyapa. Los tripulantes de una moto de color azul  sin placas de circulación, cayeron al tratar de esquivar un enorme bache que se encuentra a la altura de la entrada de… Seguir leyendo Por poco se matan al caer de motoneta

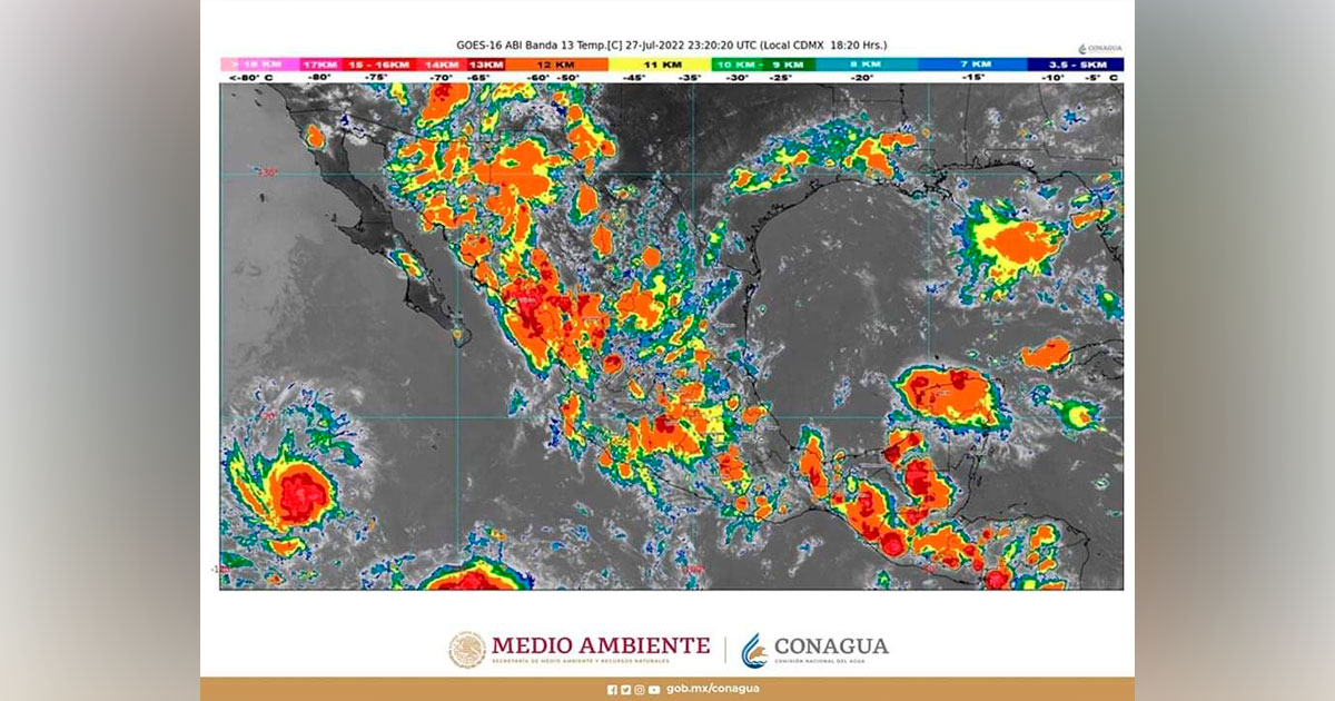
La Onda Tropical Número 16 generará lluvias intensas en Chiapas, Guerrero, Oaxaca, Puebla y Veracruz

Continuarán registrándose temperaturas vespertinas por arriba de los 35 grados Celsius en 20 estados de México. En las próximas horas la Onda Tropical Número 16 se desplazará sobre el centro y sur de México y producirá lluvias intensas (de 75 a 150 milímetros [mm]) en zonas de Chiapas, Guerrero, Oaxaca, Puebla y Veracruz; muy fuertes… Seguir leyendo La Onda Tropical Número 16 generará lluvias intensas en Chiapas, Guerrero, Oaxaca, Puebla y Veracruz

El demonio anda suelto, la violencia en México se ha ido acrecentando: JMC

Por Enedino Hernández/Zunoticia Huejutla, Hgo. – “Haz de cuenta que el demonio anda suelto, la violencia en México se ha ido acrecentando durante los últimos meses y días, pues diariamente se escucha en diversas partes del país de la situación que viven las familias, de los secuestros y de toda la violencia que se tiene… Seguir leyendo El demonio anda suelto, la violencia en México se ha ido acrecentando: JMC

Julio Menchaca presenta organismo para fomentar inversión, empleo y crecimiento económico

Por Redacción/Zunoticia Pachuca de Soto, Hgo. – El gobernador electo de Hidalgo, Julio Menchaca Salazar y el subsecretario de Industria, Comercio y Competitividad de la Secretaría de Economía del Gobierno Federal, Héctor Guerrero Herrera, presentaron el Consejo Regional para el Fomento a la Inversión, el Empleo y Crecimiento Económico de Hidalgo. Ante empresarios y empresarias… Seguir leyendo Julio Menchaca presenta organismo para fomentar inversión, empleo y crecimiento económico

Fallece último trillizo nacido en el Hospital Regional de la Huasteca

Por Redacción/Zunoticia Huejutla, Hgo. – Por falta de medicamentos y presunta negligencia médica, fallece el último de los trillizos nacido en el Hospital Regional de la Huasteca, cuyos padres son originarios de la localidad de La Corrala, perteneciente a este municipio. Personal médico del nosocomio en mención, informó que los bebés (varones), sufrieron complicaciones de… Seguir leyendo Fallece último trillizo nacido en el Hospital Regional de la Huasteca

Arrestan a sujeto por alterar el orden público

Por Redacción/Zunoticia Huejutla, Hgo. – Persona del sexo masculino que alteraba el orden en vía pública, fue arrestada por elementos de Seguridad Pública Municipal. El infractor fue arrestado la tarde de este miércoles, en la avenida México de colonia Santa Irene de esta ciudad, luego de que el sospechoso fue detectado haciendo sus desmanes en… Seguir leyendo Arrestan a sujeto por alterar el orden público

Piden tomar precauciones por mantenimiento de topes

Por Pedro Luciano/Zunoticia Atlapexco, Hgo. – Pobladores pertenecientes a la cabecera municipal de Atlapexco, hacen un atento llamado a las autoridades con la finalidad de solicitar se coloquen señalamientos idóneos ante el peligro de la presencia de accidentes en la obra pública, consistente en el mantenimiento de topes, ubicados sobre carretera Atlapexco-Huejutla. Refirieron que después… Seguir leyendo Piden tomar precauciones por mantenimiento de topes

Entrega Club Leo Huejutla “cenas comunitarias” en el Hospital Regional

Por Enedino Hernández/Zunoticia Huejutla, Hgo. – Teniendo como principal lema “Nosotros también servimos”, integrantes del Club Leo Huejutla entregaron “cenas comunitarias” a las personas que encontraron durante su visita al Hospital Regional de la huasteca hidalguense. La embajadora y secretaria del Club, Karen Lizbeth Alvarado confirmó que el pasado lunes y como parte de las… Seguir leyendo Entrega Club Leo Huejutla “cenas comunitarias” en el Hospital Regional

Denuncian colocación intermitente de balanza de la ODECO en el mercado

Por Salvador Altamirano/Zunoticia Huejutla, Hgo. – Amas de casa quienes a diario asisten al mercado municipal en busca de productos frescos de la canasta básica, manifestaron que para corroborar si el comerciante les está proporcionando un peso exacto, personal de la Oficina de la Defensa del Consumidor (ODECO) colocó dos balanzas en el inmueble. Explicaron… Seguir leyendo Denuncian colocación intermitente de balanza de la ODECO en el mercado