2026-04-25 02:21:52
2026-04-25 02:21:52

Alcalde Oscar Bautista entrega pavimentación en Nanayatla

Por Redacción/Zunoticia Xochiatipan, Hgo. – El alcalde Oscar Bautista, acompañado por Dulce Fabiola presidenta del Sistema Municipal DIF (SMDIF), autoridades y vecinos de la localidad de Nanayatla, llevaron a cabo la inauguración de la pavimentación hidráulica de una calle, en beneficio de las familias. En su mensaje, el ejecutivo municipal dijo sentirse satisfecho por la… Seguir leyendo Alcalde Oscar Bautista entrega pavimentación en Nanayatla

Alcalde y autoridades inauguran obra en Xocotitla

Por Redacción/Zunoticia Xochiatipan, Hgo. – Con el objetivo de evitar afectaciones y posibles desastres naturales durante la temporada de fenómenos climatológicos, el alcalde Oscar Bautista Gutiérrez, acompañado de las autoridades delegacionales, vecinos y la presidenta del Sistema Municipal DIF Dulce Fabiola Fuentes, realizó la inauguración de un muro de contención en beneficio de decenas de… Seguir leyendo Alcalde y autoridades inauguran obra en Xocotitla

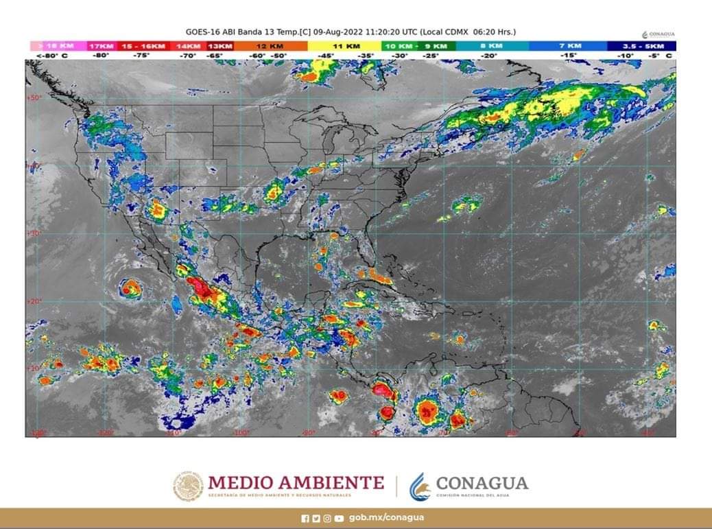
Se pronostican lluvias intensas para Sinaloa y Sonora, y muy fuertes para 10 estados del país

Chubascos y lluvias fuertes se prevén hoy en el Valle de México y la Megalópolis. Las precipitaciones podrían generar desbordamiento de ríos y arroyos, inundaciones en zonas bajas y deslaves. Por Redacción/Zunoticia CDMX. – El pronóstico meteorológico para hoy es de lluvias intensas (de 75 a 150 milímetros [mm]) en Sinaloa y Sonora; muy fuertes… Seguir leyendo Se pronostican lluvias intensas para Sinaloa y Sonora, y muy fuertes para 10 estados del país