2026-04-25 02:21:52
2026-04-25 02:21:52

Huejutlense ganó “Copa Iron 2022”

Rigan de Jesús Hernández, obtuvo el primer lugar del Men’s Physique de la “Copa Iron 2022”.

Por José Luis Romero Ruiz/Zunoticia Huejutla, Hgo.- Originario de esta ciudad Rigan de Jesús  Hernández consiguió el primer lugar de la “Copa Iron 2022” del torneo Men’s Physique en la categoría juvenil. El evento de fisiculturismo se desarrolló en Tamazunchale, San Luis Potosí el pasado fin de semana en dónde el huejutlense de 17 años… Seguir leyendo Huejutlense ganó “Copa Iron 2022”

“Firmaron el empate”

Por José Luis Romero Ruiz/Zunoticia Huejutla, Hgo.- El equipo del Hospital Regional empató 0 – 0 ante el Deportivo Panacaxtlán en la jornada 1 del torneo de liga 2022-2023 de la Liga Municipal de Fútbol Categoría Libre (LMFCL).

FC Tantoyuca 0 – 1 Atlético Huejutla J3 TDP

Los Tordos del Atlético Huejutla derrotó 1 – 0 en casa del FC Tantoyuca en la J3 del grupo 9 de la TDP.

Por José Luis Romero Ruiz/Zunoticia Tantoyuca, Ver.- El equipo FC Tantoyuca fue el anfitrión del Atlético Huejutla en la jornada 3 del grupo 9 del torneo Apertura 2022-2023 de la Tercera División Profesional (TDP); al final los Tordos vencieron 1 – 0 a los veracruzanos. El esperado encuentro se celebró en la cancha ADA de… Seguir leyendo FC Tantoyuca 0 – 1 Atlético Huejutla J3 TDP

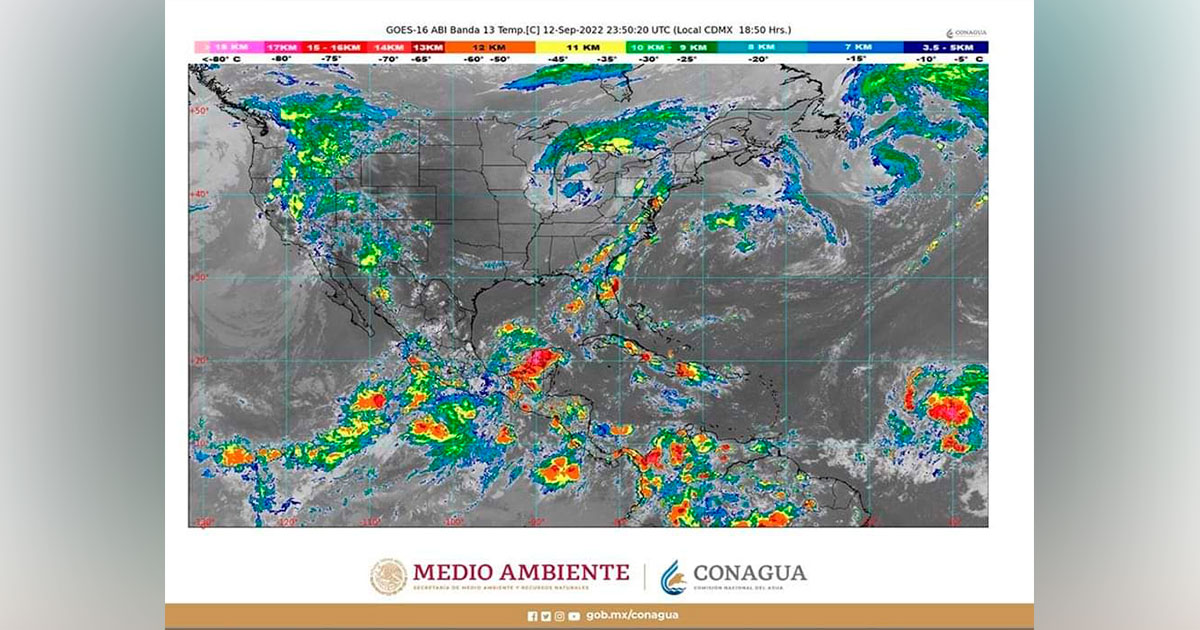
Se prevén lluvias torrenciales en sitios de Tabasco y Veracruz, durante las próximas horas

Hay pronóstico de viento de componente norte con rachas de 40 a 60 km/h en costas de Veracruz e Istmo y Golfo de Tehuantepec Mañana se esperan lluvias puntuales intensas en Chiapas, Oaxaca y Veracruz, así como muy fuertes en Campeche, Guerrero, Michoacán, Tabasco y Yucatán Durante la noche de hoy, lunes, y la madrugada… Seguir leyendo Se prevén lluvias torrenciales en sitios de Tabasco y Veracruz, durante las próximas horas

Agenda Deportiva

Carlos Becerra Díaz, presidente de la LBVCHH.

Por José Luis Romero Ruiz/Zunoticia J16 de la LMFV Huejutla, Hgo.- El presidente de la Liga Municipal de Fútbol de Veteranos (LMFV), Octavio Torres Martínez presentó el inicio del rol de la jornada 16 del torneo denominado “Raúl Badillo Ramírez”: en el corral blanco 1: a las 17:30 horas Deportivo Colalambre vs. ISSSTE,  en el… Seguir leyendo Agenda Deportiva

Auto arrolló a mujer

Por fortuna el accidente no pasó a mayores.

Por Redacción/Zunoticia Huejutla, Hgo.- Paramédicos de la Cruz Roja Mexicana brindaron atención a una persona del sexo femenino, luego que presuntamente fuera arrollada por un automovilista. Los hechos ocurrieron la noche del lunes sobre la Av. Juárez, a la altura de la plazuela del mismo nombre, desde donde paramédicos de la Cruz Roja Mexicana recibieron… Seguir leyendo Auto arrolló a mujer

Gobernador entrega nuevos nombramientos

Por Redacción/Zunoticia Pachuca, Hgo.- Julio Menchaca Salazar, gobernador constitucional del estado de Hidalgo, entregó nombramientos al doctor Pablo Vargas como nuevo director General del Colegio del Estado de Hidalgo, y al doctor Francisco Patiño como Director General del Consejo de Ciencia, Tecnología e Innovación de Hidalgo, para que aporten sus conocimientos y experiencia, pues por… Seguir leyendo Gobernador entrega nuevos nombramientos

ESPEJEANDO por Perseo

• Una visita rápida pero efectiva, fue sin duda la presencia del encargado del despacho de la Procuraduría General de Justicia de Hidalgo Santiago Nieto Castillo, que usted conoce, porque fue el responsable de la Unidad de Inteligencia Financiera en el gobierno federal y en este nuevo cargo en Hidalgo, sin duda le pone a… Seguir leyendo ESPEJEANDO por Perseo

Obras deben enfocarse al crecimiento ordenado del municipio

Por Ángel Silverio/Zunoticia Jaltocán, Hgo.- “Es un tema prioritario todo en cuanto a obra, debemos estar vigilantes de que se hagan en tiempo y forma, además que sean de calidad y sobre todo que se atiendan los problemas de fondo, para que no tengamos un crecimiento mal proyectado”. Así lo expresó la regidora Adriana Nava… Seguir leyendo Obras deben enfocarse al crecimiento ordenado del municipio

Auto se impactó con árbol

Solo daños materiales en la unidad fue el saldo del accidente.

Por Redacción/Zunoticia Chalma, Ver.- Conductor de un automóvil particular de la marca Nissan Tsuru sufrió una salida de camino y posterior impacto contra un árbol, presuntamente para evitar un choque. Los hechos ocurrieron este lunes sobre la carretera México – Tampico, a la altura de conocida del citado municipio, sitio al que acudieron agentes de… Seguir leyendo Auto se impactó con árbol