2026-04-26 02:22:09
2026-04-26 02:22:09

El alcalde y diputado suman esfuerzos para corrección de actas

Por Redacción/Zunoticia Xochiatipan, Hgo. – Personal del área del Registro civil del gobierno local que preside Óscar Bautista Gutiérrez, y colaboradores del diputado Fortunato González Islas, se reunieron en la alcaldía para tratar asuntos relacionados con la corrección de actas de nacimiento. El objetivo de esta acción es que los ciudadanos, quienes cuentan con errores… Seguir leyendo El alcalde y diputado suman esfuerzos para corrección de actas

Verifican a comerciantes que expenden en el Tianguis

Por Enedino Hernández/Zunoticia Huejutla, Hgo. – Como parte de las acciones encaminadas a verificar el número de comerciantes, que se ubican durante los días de tianguis en la calle de acceso a la Catedral, así como en otros lugares, personal de Reglamentos del ayuntamiento recorrió la zona, según confirmó el titular de dicha área Miguel… Seguir leyendo Verifican a comerciantes que expenden en el Tianguis

 Recomienda PC precaución al conducir por las lluvias y niebla

Por Redacción/Zunoticia Xochiatipan, Hgo. – Debido a la presidencia de lluvia y niebla en las vías de acceso a este municipio, el área de Protección civil (P.C.) recomienda extremar precaución al conducir vehículos automotores, toda vez que la carpeta asfáltica se haya resbalosa. A lo anterior, se agrega el hecho de que han caído rocas,… Seguir leyendo  Recomienda PC precaución al conducir por las lluvias y niebla

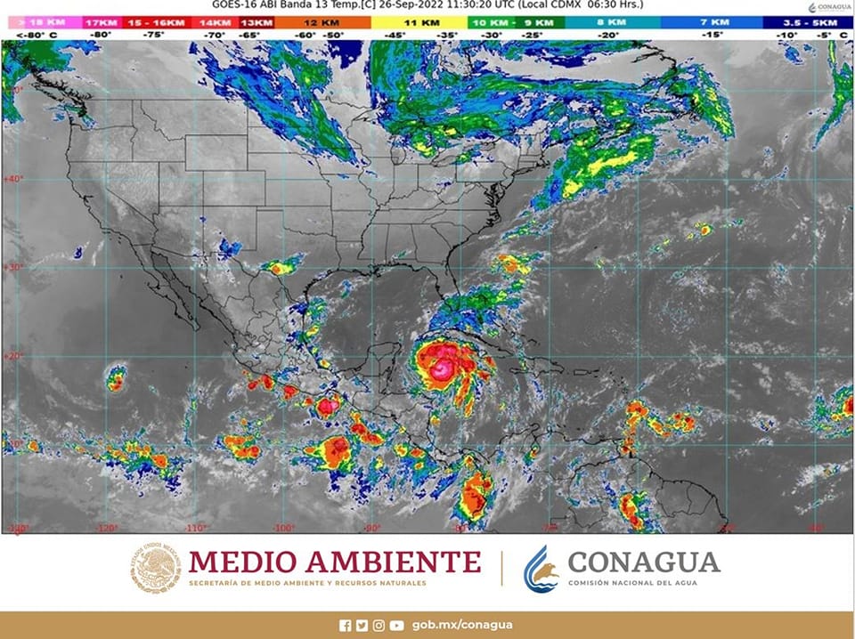
Hoy se prevén lluvias intensas en regiones de Chiapas, Hidalgo, Oaxaca, Puebla, San Luis Potosí y Veracruz

Se pronostican vientos con rachas de 60 a 70 km/h y oleaje de 2 a 3 m de altura en costas de Quintana Roo y el oriente de Yucatán. Durante la mañana, se pronostica un ligero descenso de temperatura en zonas de los estados fronterizos del norte de México. Por Redacción/Zunoticia CDMX. – Para este… Seguir leyendo Hoy se prevén lluvias intensas en regiones de Chiapas, Hidalgo, Oaxaca, Puebla, San Luis Potosí y Veracruz

PC alerta por creciente en el río San Felipe

Por Redacción/Zunoticia San Felipe Orizatlán, Hgo. – El área de Protección Civil (P.C.) municipal exhorta a la población que vive en zonas de alto riesgo, a estar alerta ante la presencia de las lluvias que se registran en Orizatlán, lo anterior con la finalidad de prevenir eventualidades, solicitando a la población mantenerse al tanto del… Seguir leyendo PC alerta por creciente en el río San Felipe

Un muerto en accidente

Por Redacción/Zunoticia Yahualica, Hgo. – Una persona del sexo masculino fallecida y cuantiosos daños materiales, fue el saldo de un accidente automovilístico que se registró la noche del domingo, en la carretera estatal Atlapexco-Calnali. El percance sucedió cerca del crucero que conduce a este municipio, donde un vehículo Chevrolet tipo Chevy, de color gris, se… Seguir leyendo Un muerto en accidente

Derrumbe bloqueó la vía federal México-Tampico

Por Redacción/Zunoticia Tlanchinol, Hgo.- Un derrumbe que se registró la mañana de este lunes bloqueó totalmente el paso en la vía federal México – Tampico. El deslave ocurrió en el tramo de la carretera Huejutla – Tlanchinol, a la altura del lugar conocido como El Balcón, ubicado en el kilómetro 186. Elementos de Seguridad Pública… Seguir leyendo Derrumbe bloqueó la vía federal México-Tampico