2026-04-25 02:21:52
2026-04-25 02:21:52

ESPEJEANDO por Perseo

• Los maestros de educación indígena y primaria formal están atentos, pues desde algún lugar alguien insiste en impulsar a Sinahí Ortega Pérez en el cargo de la subdirección de educación en Huejutla y con el control, atención y servicio de las más de 850 instituciones educativas que lo conforman. Quien sabe porque les interesa… Seguir leyendo ESPEJEANDO por Perseo

¡Robaron en escuela de Chililico!

Docentes y padres de familia exigen se investiguen los hechos, recientemente les entregaron el equipo robado Por Redacción/Zunoticia Huejutla, Hgo.- Durante la madrugada de este viernes, amantes de lo ajeno robaron equipo de cómputo y un proyector en la escuela primaria Benito Juárez del barrio Ixtlahuatempa de la localidad de Chililico, perteneciente a este municipio.… Seguir leyendo ¡Robaron en escuela de Chililico!

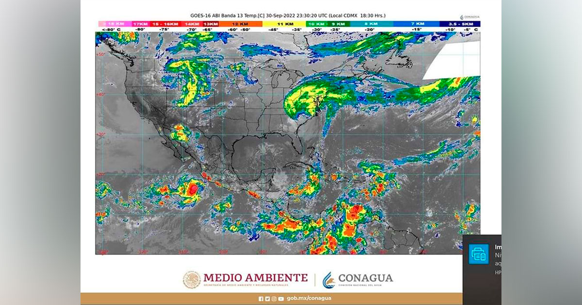
Para las próximas horas se prevén lluvias puntuales muy fuertes en Colima, Guerrero, Jalisco, Michoacán y Sonora

Continúa el evento de Norte muy fuerte con rachas de 60 a 70 km/h en el Istmo y Golfo de Tehuantepec Mañana continuará el ambiente de frío a muy frío en la mayor parte de México Para la noche de hoy y la madrugada de mañana, sábado, se prevén lluvias puntuales muy fuertes (de 50… Seguir leyendo Para las próximas horas se prevén lluvias puntuales muy fuertes en Colima, Guerrero, Jalisco, Michoacán y Sonora

Alertan por carteristas en el mercado

La policía tomó conocimiento.

Por Redacción/Zunoticia Huejutla, Hgo.- Un persona del sexo masculino pidió el apoyo de las autoridades de Seguridad Pública Municipal luego de que presuntamente personas desconocidas le sacaran su cartera de la bolsa. Los hechos ocurrieron durante el transcurso del viernes, en el interior del mercado ubicado en la colonia Santa Irene, cuando elementos de Seguridad… Seguir leyendo Alertan por carteristas en el mercado

Roban motocicleta a mujer

Se espera que durante los filtros de revisión la motocicleta robada sea recuperada.

Por Redacción/Zunoticia Atlapexco, Hgo.- Fuerte movilización policíaca se suscitó luego de que una persona del sexo femenino solicitara el apoyo, debido a que mencionaba que había sido víctima de robo de su motocicleta. Los hechos ocurrieron durante el transcurso de la tarde noche de este viernes, en el municipio de Atlapexco, Hidalgo, cuando elementos de… Seguir leyendo Roban motocicleta a mujer

Automóvil estuvo a punto de volcar

Auto compacto sufre percance en el acceso principal de la colonia Adolfo López Mateos.

Por Redacción/Zunoticia Huejutla, Hgo.- Debido a la imprudencia del conductor, un automóvil se salió de la carretera y estuvo a punto de volcar cuando circulaba en el acceso principal de la colonia Adolfo López Mateos, antes Los “Papalotes”, de esta ciudad. El percance de tránsito terrestre ocurrió un poco antes de la media noche del… Seguir leyendo Automóvil estuvo a punto de volcar

Fiestas darán exposición a artesanos del municipio

Por Ángel Silverio/Zunoticia Jaltocán, Hgo.- Habrá un gran apoyo ahora que se reactivará nuevamente lo que es el Xantolo, será motivo para darle el realce importante a nuestros artesanos de Jaltocán por eso estamos pidiendo al alcalde que nos apoye con ese tema y se ponga un corredor artesanal en estos días. Así lo dio… Seguir leyendo Fiestas darán exposición a artesanos del municipio

Ciclista herido tras ser impactado por vehículo

Ciclista lesionado tras ser impactado por automovilista.

Por Redacción/Zunoticia Huejutla, Hgo.- Un ciclista que circulaba en la vía federal Álamo – Tamazunchale, resultó severamente lesionado al sufrir una caída luego de que presuntamente fuera impactado con el espejo de un vehículo. El incidente ocurrió en el tramo carretero Huejutla – Jaltocán, a la altura de la localidad de Xocotitla, perteneciente a este… Seguir leyendo Ciclista herido tras ser impactado por vehículo

Incendio consume vivienda en la Emiliano Zapata

Por Redacción/Zunoticia San Felipe Orizatlán, Hgo.- Un voraz incendio consumió una vivienda en la Colonia Emiliano Zapata, donde afortunadamente solo fueron registradas pérdidas materiales, elementos de Protección Civil y de la Policía Municipal, acudieron a brindar el auxilio. Fue al filo de las 17:30 horas, cuando, en la Colonia arriba mencionada, vecinos reportaban que se… Seguir leyendo Incendio consume vivienda en la Emiliano Zapata

Se llevan a cabo pláticas de concientización en instituciones educativas

Por Pedro Luciano/Zunoticia Atlapexco, Hgo.- Una de las formas más importantes para erradicar la violencia contra la mujer es desde muy temprana edad, es por lo que la Administración Pública Municipal, a través de la Instancia Municipal de la Mujer, ha buscado concientizar a la población más joven del municipio, llevando a cabo visitas a… Seguir leyendo Se llevan a cabo pláticas de concientización en instituciones educativas