2026-04-26 02:22:09
2026-04-26 02:22:09

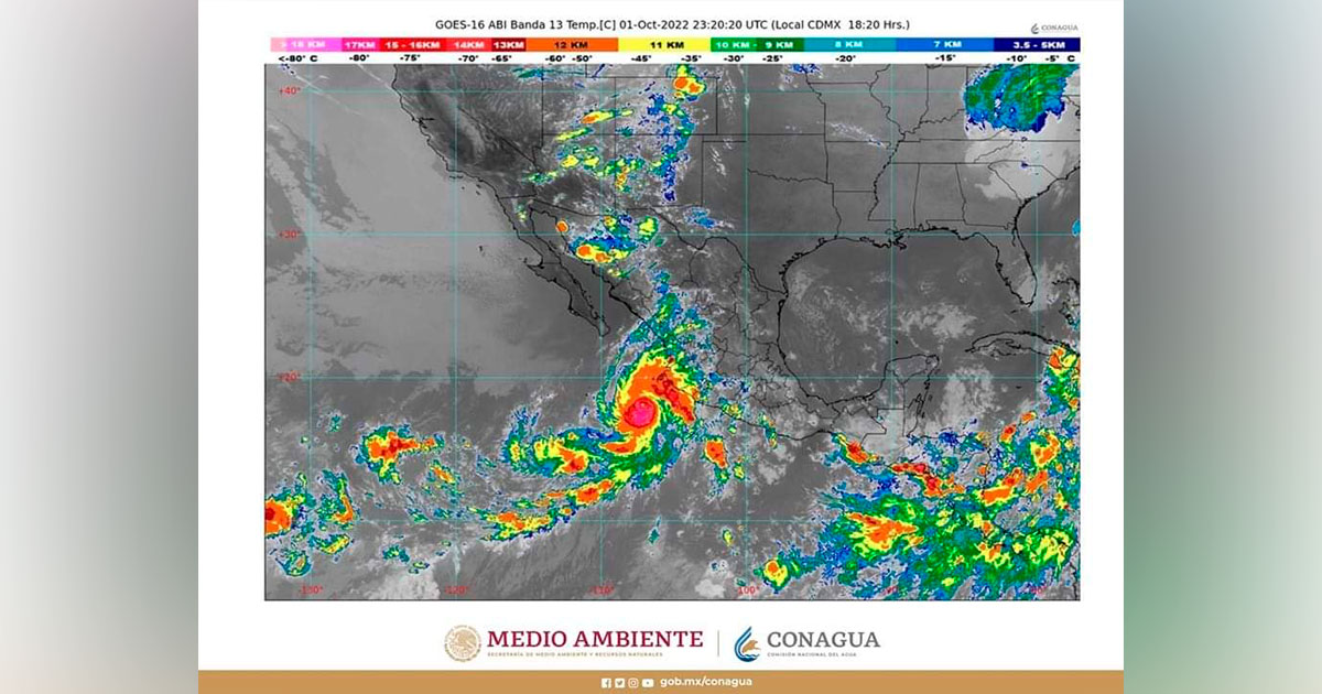
Orlene se intensifica a huracán de categoría 2, frente a las costas de Jalisco

Su amplia circulación producirá lluvias intensas en regiones de Colima y Jalisco; muy fuertes en Michoacán, Nayarit y Sinaloa, y fuertes en Durango En el transcurso de la noche, el huracán Orlene de categoría 2 en la escala Saffir- Simpson, continuará su desplazamiento frente a las costas de Jalisco, su amplia circulación producirá lluvias puntuales… Seguir leyendo Orlene se intensifica a huracán de categoría 2, frente a las costas de Jalisco

Alcalde continúa en mejora de condiciones de vida para el municipio

Por Redacción/Zunoticia Atlapexco, Hgo.- Este viernes, el edil de este municipio, Joel Nochebuena Hernández, así como también diversos alcaldes de la Huasteca se reunieron con el titular de la Unidad de Planeación y Prospectiva del gobierno de Hidalgo, Miguel Ángel Tello Vargas para llevar a cabo una sesión donde abordaron temas referentes a la mejora… Seguir leyendo Alcalde continúa en mejora de condiciones de vida para el municipio

Edil atiende a familiares afectados en accidente automovilístico

Por Redacción/Zunoticia Atlapexco, Hgo.- Derivado de un hecho carretero que suscitó en días pasados en las comunidades de Achiquihuixtla I y II donde un joven perdió la vida y una jovencita resultó gravemente lesionada, el presidente municipal Joel Nochebuena Hernández, acudió al llamado de los habitantes de ambas localidades para atender sus solicitudes. En ese… Seguir leyendo Edil atiende a familiares afectados en accidente automovilístico

Hombre convulsionó

Por Redacción/Zunoticia Huejutla, Hgo.- Una persona del sexo masculino alertó a los cuerpos de emergencia, luego que presuntamente se encontrara convulsionando en la vía pública. Los hechos ocurrieron durante el transcurso de la tarde del sábado sobre las inmediaciones del mercado municipal a la altura de la biblioteca, cuando comerciantes que se encontraban en esa… Seguir leyendo Hombre convulsionó

Chocan motocicleta

Por Redacción/Zunoticia Huejutla, Hgo.- Elementos de seguridad pública y tránsito municipal se alertaron tras haberse suscitado un percance entre dos motocicletas, donde el presunto responsable logró huir. Los hechos ocurrieron durante el transcurso de la noche sobre la carretera federal México-Tampico a la altura de la ex glorieta Juárez, cuando un reporte realizado a la… Seguir leyendo Chocan motocicleta

Alcaldía efectuará evento ciclista “Sendero en Llamas”

Por Roberto Meza/Zunoticia Huazalingo, Hgo. – El ayuntamiento de Huazalingo que encabeza Julio Cesar González García, en coordinación con la Copa Huasteca MTB invita a todos los ciclistas del municipio y de la región al evento ciclista denominado “Sendero en llamas” y con ello, proyectar esta actividad en el municipio. El evento se habrá de… Seguir leyendo Alcaldía efectuará evento ciclista “Sendero en Llamas”

Alcalde sostuvo reunión de trabajo con el secretario de Planeación y Prospectiva

Por Roberto Meza/Zunoticia Huazalingo, Hgo. – Con la finalidad de avanzar en las gestiones y generar el progreso que en pueblo de Huazalingo requiere, el presidente municipal Julio César González García, sostuvo una reunión de trabajo con el titular de Planeación y Prospectiva del gobierno del estado de Hidalgo, en el acto también participaron los… Seguir leyendo Alcalde sostuvo reunión de trabajo con el secretario de Planeación y Prospectiva

Aseguran a personas posiblemente relacionadas con reventa de boletos del palenque

Por Redacción/Zunoticia Pachuca de Soto, Hgo. – Como resultado del despliegue operativo que la Secretaría de Seguridad Pública de Hidalgo desarrolla para brindar seguridad y vigilancia al interior y perímetro de la Feria de San Francisco Pachuca, Hidalgo, dos personas fueron aseguradas por su posible participación en la reventa de entradas para espectáculos del palenque.… Seguir leyendo Aseguran a personas posiblemente relacionadas con reventa de boletos del palenque

Capturan a individuo presuntamente relacionado con robo 

Por Redacción/Zunoticia Pachuca de Soto, Hgo. – Como parte del monitoreo en videovigilancia que desarrolla la Secretaría de Seguridad Pública de Hidalgo, a través del C5i, un hombre fue asegurado por su presunta participación en el robo de cable del alumbrado público. Mediante la red de cámaras urbanas fue detectado el individuo en el bulevar… Seguir leyendo Capturan a individuo presuntamente relacionado con robo 

Efectúan Jornada Nacional de Catalogo de los Pueblos Indígenas y Afromexicanas

Por Roberto Meza/Zunoticia Yahualica, Hgo. – El ayuntamiento que preside Elías Sanjuán Sánchez y el Instituto Nacional de los Pueblos Indígenas -INPI- este sábado efectuaron un evento del Catálogo Nacional de los Pueblos Indígenas y Afromexicanas, con esto se busca tener un registro de las localidades, que accedan a los programas y acciones del INPI.… Seguir leyendo Efectúan Jornada Nacional de Catalogo de los Pueblos Indígenas y Afromexicanas