2026-04-21 02:21:27
2026-04-21 02:21:27

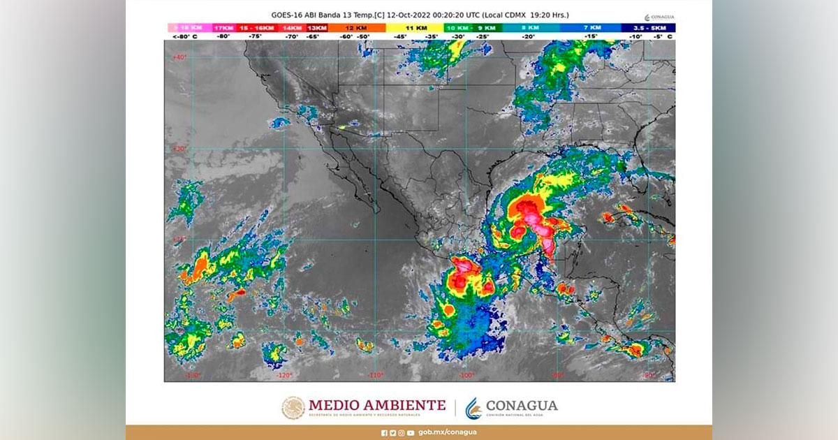
Karl propiciará lluvias torrenciales en zonas de Chiapas, Oaxaca, Tabasco y Veracruz

Se prevé viento de componente norte con rachas de 60 a 80 km/h y oleaje de 2 a 3 metros de altura en la costa de Veracruz. Para mañana se prevén lluvias torrenciales en zonas de Puebla y Veracruz, y muy fuertes en Chiapas, Guerrero y Oaxaca La tormenta tropical Karl se ubica a 180… Seguir leyendo Karl propiciará lluvias torrenciales en zonas de Chiapas, Oaxaca, Tabasco y Veracruz

ESPEJEANDO por Perseo

• El desarrollo es la política para empoderar, no es primero la política para el desarrollo; cuando se entienda esto desde la comunidad y los políticos, entonces comprenderán lo que han dejado ir sexenio tras sexenio. • Se ha privilegiado la politiquería justificando desarrollo sin cristalizar resultados, porque el castigo ha sido separar votos, crear… Seguir leyendo ESPEJEANDO por Perseo

Jornalero herido tras sufrir caída

El jornalero lesionado fue auxiliado e ingresado al Hospital Regional de la Huasteca.

Por Redacción/Zunoticia Huejutla, Hgo.- Con una herida en la cabeza resultó un jornalero que sufrió una caída cuando estaba leñando en su milpa. El adulto lesionado, de nombre José N., es vecino de la localidad de Terrero de este municipio, quien se trasladaba por sus propios medios al Hospital Regional de la Huasteca, pero fue… Seguir leyendo Jornalero herido tras sufrir caída

Chocan a taxista

Solo daños materiales fue el saldo del percance automovilístico.

Por Redacción/Zunoticia Huejutla, Hgo.- Un automóvil del transporte público presuntamente fue impactado por un ebrio automovilista que dejó como saldo solo daños materiales. Los hechos ocurrieron durante el transcurso de la noche del martes sobre la carretera México – Tampico, a la altura de la ex glorieta Juárez, cuando elementos de Seguridad Pública y Tránsito… Seguir leyendo Chocan a taxista

Alertan contra extorsionadores 

Autoridades policíacas exhortan a la ciudadanía a no dejarse engañar por extorsionadores.

Por Redacción/Zunoticia Huejutla, Hgo.- Con la finalidad de evitar que la ciudadanía sea víctima de extorsiones, corporaciones policíacas destacamentadas en esta región de la huasteca hidalguense, alertan a la población y exhortan para que no se dejen engañar a través de llamadas telefónicas. Lo anterior se deriva porque en estos días ciudadanos denunciaron que han… Seguir leyendo Alertan contra extorsionadores 

Auxilian a hombre tirado en vía pública

Los paramédicos valoraron en el lugar al hombre.

Por Redacción/Zunoticia Huejutla, Hgo.- Elementos de Seguridad Pública Municipal y paramédicos de la Cruz Roja Mexicana le brindaron la atención a una persona del sexo masculino, que se encontraba tirada en la calle presuntamente herida. Los hechos ocurrieron durante el transcurso de la tarde del martes a un costado de la carretera México – Tampico,… Seguir leyendo Auxilian a hombre tirado en vía pública

Arrestan a ebrio automovilista

La camioneta fue remolcada y el conductor detenido.

Por Redacción/Zunoticia Huejutla, Hgo.- Agentes de Seguridad Pública y Tránsito Municipal interceptaron al conductor de una camioneta, quien presuntamente fue sorprendido circulando bajo los efectos de las bebidas embriagantes. Los hechos ocurrieron durante el transcurso del día sobre la carretera México – Tampico, metros antes de llegar a la clínica del ISSSTE, cuando las fuerzas… Seguir leyendo Arrestan a ebrio automovilista

Gladiadores 42 – 41 a Vikingos en LMBH

Los Gladiadores vencieron 42 – 41 a Vikingos en atractivo duelo de la LMBH.

En otros resultados: Saurios venció 56 – 32 a Comanders, y Búhos derrotaron 49 – 45 a Aztecas Por José Luis Romero Ruiz/Zunoticia Huejutla, Hgo.- En atractivo encuentro el equipo de Gladiadores se enfrentó a los Vikingos en el inicio de la  jornada ,del torneo de liga 2022 de la Liga Municipal de Básquetbol de… Seguir leyendo Gladiadores 42 – 41 a Vikingos en LMBH

Buscan que servidores públicos comparezcan ante el Legislativo

Por Redacción/Zunoticia Pachuca, Hgo.- Con la intención de eliminar la posibilidad de que los servidores públicos evadan enfrentar los cuestionamientos directos de los diputados, integrantes de la LXV Legislatura buscan modificar la Ley Orgánica del Poder Legislativo del Estado de Hidalgo. Durante la sesión ordinaria número 88, el diputado petista, Edgar Hernández Dañu, presentó la… Seguir leyendo Buscan que servidores públicos comparezcan ante el Legislativo

“Nuevo líder de goleo”

Por José Luis Romero Ruiz/Zunoticia Huejutla, Hgo.- El delantero del equipo Cañeros: Orlando “El Artillero” Ortiz es el nuevo líder de goleo individual con 34 anotaciones, y envió al segundo lugar a Edgar Pozos con 33 en la LMFV.