2026-04-21 02:21:27
2026-04-21 02:21:27

Foros de consulta reduce desigualdades: Dany Andrade

Inician en Huejutla Foros de Consulta a los Pueblos y Comunidades Indígenas para la construcción del Plan Estatal para la Transformación de Hidalgo 2022-2028. Por Redacción/Zunoticia Huejutla, Hgo.- “Los pueblos indígenas de Hidalgo han reclamado a lo largo de la historia un diálogo más sistemático con los diferentes niveles de gobierno, en especial, con aquellos… Seguir leyendo Foros de consulta reduce desigualdades: Dany Andrade

El Frente Frío No. 8 propiciará caída de aguanieve o nieve en la sierra norte de Baja California

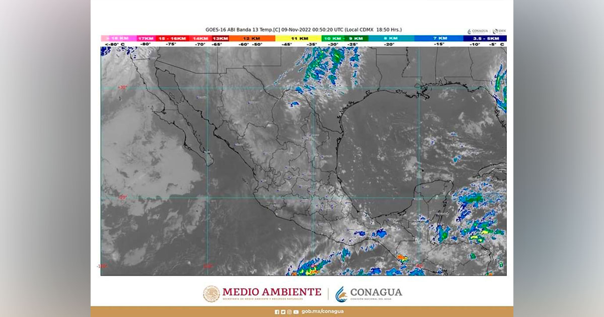
Se prevén lluvias muy fuertes en zonas de Chiapas y Veracruz, así como fuertes en Oaxaca y Quintana Roo. Durante las próximas horas, el Frente Frío Número 8 se aproximará al noroeste de México y, asociado a una vaguada polar, originará lluvias puntuales fuertes (de 25 a 50 milímetros [mm]) en Baja California, así como… Seguir leyendo El Frente Frío No. 8 propiciará caída de aguanieve o nieve en la sierra norte de Baja California

Diputados proponen Gaceta Municipal, para garantizar acceso a información de Ayuntamientos

Por Redacción/Zunoticia Pachuca, Hgo.- La diputada local de Morena, Lisset Marcelino Tovar, presentó una iniciativa que adiciona la fracción XII al artículo 6°, y adiciona el capítulo tercero Bis de la Ley Orgánica Municipal para el Estado de Hidalgo, para incorporar la figura de Gaceta Municipal a la Ley Orgánica Municipal para el Estado de… Seguir leyendo Diputados proponen Gaceta Municipal, para garantizar acceso a información de Ayuntamientos

Necesaria la participación de comunidades en foros de consulta: Noé Hernández

Por Ángel Silverio/Zunoticia San Felipe Orizatlán, Hgo.- “Ya estamos muy avanzados en eso, es algo que me emociona, creo porque así me lo dicen, es algo que se está aterrizando a ras de suelo, y si recogemos el sentir de las comunidades, de los barrios, de las colonias, va a hacer que esto se quede”.… Seguir leyendo Necesaria la participación de comunidades en foros de consulta: Noé Hernández

Se realizó el Foro de consulta de los Pueblos y Comunidades Indígenas

Por Redacción/Zunoticia Huautla, Hgo.- Con la Presencia de Prisco Manuel Gutiérrez, Comisionado Estatal para el Desarrollo Sostenible de los Pueblos Indígenas del Estado de Hidalgo, se llevó a cabo con más de 500 asistentes el Foro de Consulta de los Pueblos y Comunidades Indígenas. El objetivo fue sostener un diálogo abierto y franco con la… Seguir leyendo Se realizó el Foro de consulta de los Pueblos y Comunidades Indígenas

En Tehuetlán, monos con pirotecnia no fueron reportados: PC

Las figuras presuntamente fueron realizadas clandestinamente.

Por Redacción/Zunoticia Huejutla, Hgo.- Tras la explosión ocurrida en Tehuetlán en el destape de disfrazados el pasado domingo, el Director de Protección Civil Municipal, Otoniel Centeno Redondo, mencionó que los muñecos utilizados para el evento fueron clandestinos al ir rellenos de pólvora y no ser reportados a las corporaciones correspondientes. El funcionario señaló que no… Seguir leyendo En Tehuetlán, monos con pirotecnia no fueron reportados: PC

Iniciaron jornadas de salud de la CDIH

Por Ángel Silverio/Zunoticia Jaltocán, Hgo.- Tal como se anunció, este martes dieron inicio las jornadas de salud a cargo de la Comisión Internacional de los Derechos Humanos Hidalgo (CDIH), siendo beneficiados cientos de jaltocanenses, por lo que invitan a la ciudadanía a participar en la campaña que habrá de durar hasta el próximo 10 de… Seguir leyendo Iniciaron jornadas de salud de la CDIH

Alcalde realiza reuniones de trabajo en las comunidades

Edil encabezó mesa de trabajo.

Por Roberto Meza/Zunoticia Yahualica, Hgo.- El presidente municipal, Elías Sanjuán Sánchez, realiza reuniones de trabajo por las diversas comunidades para escuchar de cerca la peticiones de las autoridades delegaciones y ejidales, así como atender las necesidades de la gente como parte de sus acciones de entablar los diálogos con todos los yahualiquenses. Fue este martes… Seguir leyendo Alcalde realiza reuniones de trabajo en las comunidades

Dan posesión a nuevos rectores en la UTHH y UPH

Toma posesión del cargo de rector de la UTHH Miguel Acosta Salazar (centro).

Por Salvador Altamirano/Zunoticia Huejutla, Hgo.- En eventos separados, el Subsecretario de Educación Media y Superior del Estado de Hidalgo, Daniel Fragoso Torres, dio posesión este día a los nuevos rectores de la Universidad Tecnológica de la Huasteca Hidalguense  (UTHH) y de la Universidad Politécnica de Huejutla (UPH), Miguel Acosta Salazar y José Eugenio Segura Marroquín,… Seguir leyendo Dan posesión a nuevos rectores en la UTHH y UPH

Cruz Roja auxilió a adulto mayor 

Paramédicos de la Cruz Roja Mexicana, atendieron a adulto mayor que sufrió complicaciones de salud en la zona Centro.

Por Redacción/Zunoticia Huejutla, Hgo.- Paramédicos de la Cruz Roja Mexicana atendieron a un adulto mayor que sufrió complicaciones de salud cuando caminaba en la zona Centro de esta ciudad. De acuerdo con la información recabada en el lugar de los hechos, el incidente se registró este martes en la avenida Plaza de la Revolución, justo… Seguir leyendo Cruz Roja auxilió a adulto mayor