2026-05-02 02:24:13
2026-05-02 02:24:13

Elige PRD a nuevo presidente

El órgano de justicia intrapartita cancela filiación y remueve del cargo al anterior presidente. Por Redacción/Zunoticia Pachuca de Soto, Hgo. – Por unanimidad de votos del pleno del Consejo Estatal del Partido de la Revolución Democrática, este viernes 11 de noviembre de 2022, eligió a Erick Josué Chávez López como nuevo presidente del Consejo Estatal… Seguir leyendo Elige PRD a nuevo presidente

A los clientes los debemos de cuidar nosotros: Nereo Ramírez

Por Salvador Altamirano/Zunoticia Huejutla, Hgo. – En torno a la nota periodística en donde comerciantes solicitan a las autoridades competentes, redoblar la vigilancia en el mercado municipal ante la proximidad de los festejos del mes de diciembre para prevenir posibles robos a los asistentes, el locatario del área del laminado, Nereo Ramírez Martínez, enfatizó “la… Seguir leyendo A los clientes los debemos de cuidar nosotros: Nereo Ramírez

Piden prevenir malestares ante proximidad de bajas temperaturas

Por Enedino Hernández/Zunoticia Huejutla, Hgo. – El coordinador administrativo de Cruz Roja Mexicana en Huejutla, José Luis Bautista confirmó que por la temporada de bajas temperaturas que generalmente se tienen en estos últimos meses del año es normal que se incrementen los resfriados y demás síntomas que todos conocen; por lo que es elemental que… Seguir leyendo Piden prevenir malestares ante proximidad de bajas temperaturas

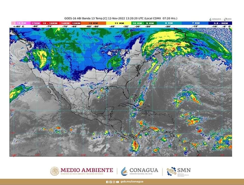
Hoy se prevén lluvias muy fuertes en Puebla, Oaxaca y Veracruz, y fuertes en Guerrero, Hidalgo, Querétaro y San Luis Potosí

Se pronostica evento de Norte con rachas de 60 a 80 km/h y oleaje de 1 a 3 metros de altura en costas de Tamaulipas y Veracruz. Por Redacción/Zunoticia CDMX. – Hoy, sábado, se prevén lluvias puntuales muy fuertes (de 50 a 75 milímetros [mm]) en Puebla, Oaxaca y Veracruz; fuertes (de 25 a 50… Seguir leyendo Hoy se prevén lluvias muy fuertes en Puebla, Oaxaca y Veracruz, y fuertes en Guerrero, Hidalgo, Querétaro y San Luis Potosí