2026-04-21 02:21:27
2026-04-21 02:21:27

Suspendieron desfile por llovizna y frio, sólo hubo programa cívico y cultural

Por Roberto Meza/Zunoticia Huazalingo, Hgo.- Derivado de las lloviznas y frio que se están presentando en esta región de la sierra  Hidalguense, se suspendió el destile Revolucionario de este domingo, esto, para no exponer a los alumnos y maestros a los cambios drásticos del clima, mientras tanto solo hubo honores y un programa cultural en… Seguir leyendo Suspendieron desfile por llovizna y frio, sólo hubo programa cívico y cultural

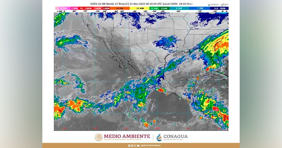
El frente número 10 generará lluvias de intensas a torrenciales en el sureste de México

Persistirá el evento de Norte intenso en Chiapas, Oaxaca, Tabasco, Tamaulipas y Veracruz. Durante esta noche y la madrugada del lunes, el sistema frontal número 10 se extenderá como estacionario sobre la Península de Yucatán y el sureste de México, y mantendrá lluvias torrenciales (de 150 a 250 milímetros [mm]) en zonas de Chiapas; intensas… Seguir leyendo El frente número 10 generará lluvias de intensas a torrenciales en el sureste de México

Registran ventas bajas comerciantes locales

Por Ángel Silverio/Zunoticia Jaltocán, Hgo.- Ante la pertinaz lluvia que se ha estado registrando en los últimos días, el comercio local ha registrado pérdidas considerables, según dio a conocer el líder de los vendedores, mencionando que solo tienen puesta la esperanza en las ventas decembrinas. “Las lluvias no nos han permitido tener ventas como cuando… Seguir leyendo Registran ventas bajas comerciantes locales

Se acentúa en Huejutla el uso de motocicletas como medio de transporte: Refieren

Subrayado uso de motocicletas en Huejutla

Por Salvador Altamirano/Zunoticia Huejutla, Hgo.- Habitantes de la población enfatizaron que se acentúa el parque vehicular de motocicletas, el cual se está constituyendo en el medio de transporte común, no obstante el peligro que se materializa cada día con los accidentes Opinaron que, por tal motivo, la dirección de Tránsito y Vialidad Municipal debe de… Seguir leyendo Se acentúa en Huejutla el uso de motocicletas como medio de transporte: Refieren

Camioneta se sale de la carretera

Por Redacción/Zunoticia San Felipe Orizatlán, Hgo.- Debido al pavimento mojado, el conductor de una camioneta tipo Pick up en color blanco, se salió de la cinta asfáltica causando que esta volcara y quedara tendida de costado sobre la maleza. De acuerdo con los datos obtenidos, los hechos se suscitaron al filo de las 08:20 horas,… Seguir leyendo Camioneta se sale de la carretera

Se coloca portón de seguridad en entrada de comunidad de Huitzotlaco

Por Pedro Luciano/Zunoticia Atlapexco, Hgo.- Es importante la seguridad de los ciudadanos y derivado del incremento de inseguridad que se ha observado en la región, la delegación de la comunidad de Huitzotlaco ha decidido colocar un portón de seguridad con la finalidad de mantener a la población en calma, así como también regular el ingreso… Seguir leyendo Se coloca portón de seguridad en entrada de comunidad de Huitzotlaco

Gobierno refrenda su compromiso con las instituciones educativas

Por Ángel Silverio/Zunoticia San Felipe Orizatlán, Hgo.- El pasado fin de semana, Noel Rivera Herverth, Oficial Mayor y Rosalba Nevenka Camargo Hernández, Directora de Educación y Cultura, acudieron en representación de la alcaldesa Erika Saab Lara, al evento de aniversario de la Universidad Politécnica de Huejutla, donde refrendaron su compromiso de trabajar en pro de… Seguir leyendo Gobierno refrenda su compromiso con las instituciones educativas

Conmemora ayuntamiento aniversario de la Revolución Mexicana

Por Redacción/Zunoticia Xochiatipan, Hgo. – No obstante las frías condiciones climatológicas registradas, este domingo se llevó a cabo el tradicional desfile para conmemorar el CXII aniversario de la Revolución Mexicana, evento que fue presidido por alcalde Óscar Bautista Gutiérrez y coordinado por personal directivo de escuelas públicas de la cabecera. Desde el boulevard de la… Seguir leyendo Conmemora ayuntamiento aniversario de la Revolución Mexicana

Con 3 actividades conmemora alcaldía inicio de la Revolución

Con honores a la bandera, depósito floral a deportistas fallecidos y el desfile tradicional, se recordó el inicio de la Revolución Mexicana a 112 años. Por Redacción/Zunoticia Huejutla, Hgo.- Un día como hoy, pero hace 112 años, inició uno de los movimientos armados más importante del país; la  Revolución Mexicana, lucha a la que convocó… Seguir leyendo Con 3 actividades conmemora alcaldía inicio de la Revolución

Bastón de mando de la juventud 4T

Por Pedro Luciano/Zunoticia Atlapexco, Hgo.-  El bastón de mando un símbolo representativo de autoridad entre los pueblos indígenas de México, tradiciones rescatadas por los principios de la cuarta transformación, afirmó el C. Carlos Olivares Montaño, líder en el municipio, joven quien ha recibido dicho reconocimiento por representar a la juventud. “Este bastón se nos fue… Seguir leyendo Bastón de mando de la juventud 4T