2026-04-21 02:21:27
2026-04-21 02:21:27

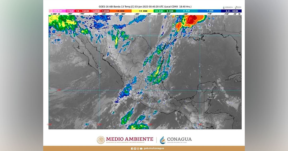
El Frente Frío Número 21 propiciará fuertes rachas de viento y lluvias en Sonora

Se pronostican rachas de viento de hasta 90 km/h con tolvaneras en Coahuila y Nuevo León. Para mañana, martes, se pronostica caída de aguanieve o nieve en las sierras de Chihuahua y Sonora. Durante esta noche y la madrugada del martes, el Frente Frío Número 21, en interacción con una vaguada polar y la corriente… Seguir leyendo El Frente Frío Número 21 propiciará fuertes rachas de viento y lluvias en Sonora

ESPEJEANDO por Perseo

• Como cada año, al iniciar uno nuevo, se vienen los acomodos en diversos ámbitos, por ejemplo, las empresas toman decisiones respecto a lo que deberán hacer para mejorar sus logros con relación al año anterior, ajustes en los recursos económicos y humanos son sus prioridades, lo mismo pasa en la administración pública de todos… Seguir leyendo ESPEJEANDO por Perseo

Buscarán que se consolide proyecto del Mercado municipal

Por Ángel Silverio/Zunoticia Jaltocán, Hgo.-  Ante el inicio del nuevo año, comerciantes de este municipio buscarán que se continúe la gestión para poder concretar el proyecto del Mercado municipal, que tanta falta hace, esperando que el gobernador Julio Menchaca ponga atención en este importante tema. Lucio Romero Hernández, representante del comercio en esta demarcación, indicó… Seguir leyendo Buscarán que se consolide proyecto del Mercado municipal

Sector transportista beneficiado en esta temporada

Por Pedro Luciano/Zunoticia Tlanchinol, Hgo.- Después de esta temporada decembrina fue el sector transportista el más beneficiado, gracias a la numerosa movilidad de la población a razón de las celebraciones familiares y las vacaciones de fin de año, afirmaron transportista de taxis del municipio. Afirmaron de igual forma que este beneficio se pudo observar gracias… Seguir leyendo Sector transportista beneficiado en esta temporada

INE da a conocer sus fechas de atención

Por Ángel Silverio/Zunoticia San Felipe Orizatlán Hgo.- Un llamado a la población hizo el personal del módulo móvil del Instituto Nacional Electoral (INE), quien dio a conocer las fechas en que próximamente estarán dando servicio, invitando a que no dejar pasar los días de este mes y los próximos para realizar sus trámites. Al respecto,… Seguir leyendo INE da a conocer sus fechas de atención

Siguen atendiendo con guardias en alcaldía

Solo se está trabajando con guardias en alcaldía.

Por Roberto Meza/Zunoticia Yahualica, Hgo.-  Para atender los servicios más apremiantes de la ciudadanía, el gobierno municipal que preside Senón Morales, sigue atendiendo mediante guardias, ya que los trabajadores están disfrutando de las vacaciones por año nuevo y su retorno será hasta el próximo vienes. Las áreas que están trabajando con guardias son Tesorería municipal,… Seguir leyendo Siguen atendiendo con guardias en alcaldía

Camioneta cayó a una vivienda

Ebrio conductor causó destrozos en una casa.

El accidente sucedió en la comunidad de Chililico. Por Redacción/Zunoticia Huejutla, Hgo.- Por falta de pericia del conductor, una camioneta se salió del camino y cayó a una vivienda en la localidad de Chililico, perteneciente a este municipio. El incidente ocurrió el pasado fin de semana y el percance fue ocasionado por un vehículo de… Seguir leyendo Camioneta cayó a una vivienda

Excesivo incremento de gasolina: acusa consumidor

Cada vez aumenta más el precio del combustible

Por Ángel Bautista/Zunoticia Huejutla, Hgo.- Consumidores de combustible de la huasteca mostraron su descontento por el incremento excesivo de la gasolina, cuyos precios son exhibidos en tabuladores en las afueras de las franquicias. Así lo dio a conocer Fermín Lara Martínez vecino de esta cabecera municipal quien detalló que, el domingo 1 de enero, los… Seguir leyendo Excesivo incremento de gasolina: acusa consumidor

¿Cómo se percibe la Reforma Curricular 2022?

Comparte autoentrevista que realizó el Mtro. Moisés Fayad Islas al Profesor Chonito. Por Redacción/Zunoticia Para iniciar ¿Es coherente lo que propone la Reforma Educativa 2022? – Un acierto para la enseñanza a través del trabajo por proyectos donde existen 4 campos formativos como puentes del aprendizaje y lograr en los alumnos de educación básica un… Seguir leyendo ¿Cómo se percibe la Reforma Curricular 2022?

Tanques de gas LP deben ser revisados: Bomberos

Hasta el momento afortunadamente las fugas han sido controladas.

Por Ángel Bautista/Zunoticia Huejutla, Hgo.- Integrantes del cuerpo de Bomberos de Huejutla hacen un llamado a la población a que revise sus tanques de gas LP y estacionarios para evitar fugas que pongan en riesgo su integridad física y la de las demás personas. Lo anterior lo dio a conocer Carlos Francisco Hidalgo Contreras, instructor… Seguir leyendo Tanques de gas LP deben ser revisados: Bomberos