2026-04-27 02:22:18
2026-04-27 02:22:18

ESPEJEANDO por Perseo

• 28 mil millones de pesos gasta el Instituto Nacional Electoral (INE) de sueldos operativos al año para atender la organización de elecciones, además de los millones para los partidos políticos, salarios en funcionarios de primer nivel; una cantidad parecida gasta el Tribunal Superior de Justicia, también con sueldos, algunos en cifras mayores que el… Seguir leyendo ESPEJEANDO por Perseo

Entrega alcalde material de construcción a personal de Limpias

Por Redacción/Zunoticia Xochiatipan, Hgo.- El alcalde Óscar Bautista Gutiérrez se reunió con el personal de limpias públicas para conversar sobre sus necesidades y desempeño sobre los trabajos que se realizan diariamente, reconociendo en ese sentido su labor. El ejecutivo municipal los exhortó a continuar trabajando con esfuerzo para brindar un servicio de calidad a la… Seguir leyendo Entrega alcalde material de construcción a personal de Limpias

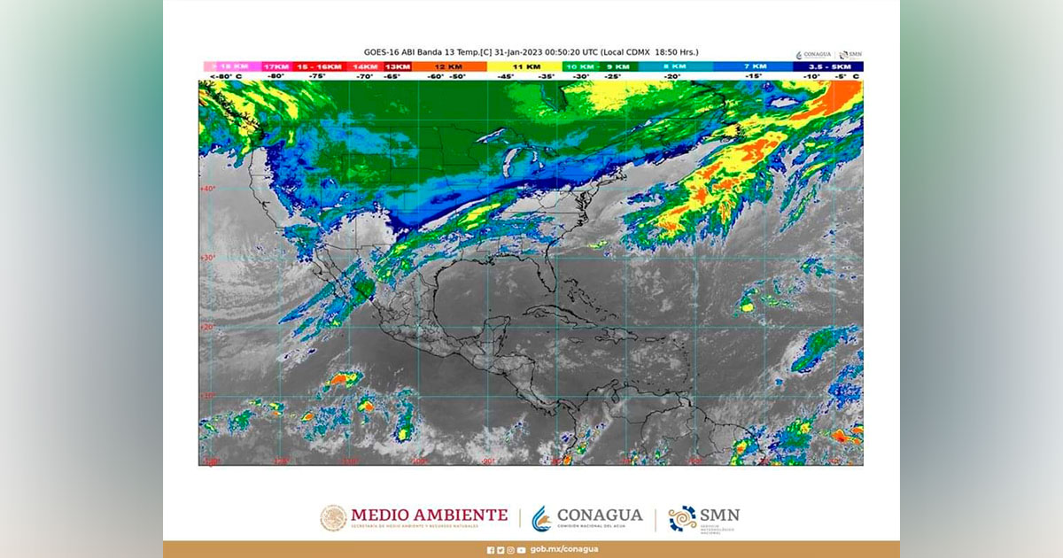
Para la noche de hoy se pronostican lluvias fuertes en Baja California y Sonora

Durante la noche de hoy y la madrugada de mañana, se prevé caída de aguanieve o nieve en sierras de Baja California, Chihuahua, Durango, el norte de Sinaloa y Sonora. Mañana, se esperan lluvias puntuales muy fuertes en Chihuahua y Durango, y fuertes en Baja California Sur, Coahuila y Sinaloa. Para las próximas horas, se… Seguir leyendo Para la noche de hoy se pronostican lluvias fuertes en Baja California y Sonora

Convoca ayuntamiento a concurso de disfraces

Por Redacción/Zunoticia Xochiatipan, Hgo. – Como parte de los festejos de Carnaval 2023, el gobierno municipal que encabeza Óscar Bautista Gutiérrez, emitió la convocatoria para la participación ciudadana al Concurso de disfraces. Las inscripciones quedaron abiertas desde el lunes 30 y se cerrarán un día antes del evento, el cual tendrá lugar en la zona… Seguir leyendo Convoca ayuntamiento a concurso de disfraces

Conmemoran 18 aniversario del Cerro La Paila – El Susto

Fue denominado como Área Natural Protegida en 2005 y actualmente ofrece servicios ambientales para la investigación científica, la educación ambiental y servicios de ecoturismo. Por Redacción/Zunoticia Pachuca, Hgo.- Este 31 de enero de 2023 se conmemora el 18 aniversario del Cerro La Paila – El Susto, como Área Natural Protegida de Hidalgo, denominada así en… Seguir leyendo Conmemoran 18 aniversario del Cerro La Paila – El Susto

Participan colaboradores de la Sedeco en Jornada de Salud del ISSSTE

La salud y bienestar de quienes integran un equipo de trabajo es fundamental para nosotros: Henkel Por Redacción/Zunoticia Pachuca, Hgo.- Colaboradores de la Secretaría de Desarrollo Económico (Sedeco), participaron en la Jornada de Salud y Audiencia Pública ofrecida por personal de la Representación Estatal del ISSSTE en Hidalgo. Pensando en la salud y el bienestar… Seguir leyendo Participan colaboradores de la Sedeco en Jornada de Salud del ISSSTE

SEDESO realizó entrega de cuartos adicionales a personas en alta marginación

Se entregaron apoyos por alrededor 3 millones 200 mil pesos Por Redacción/Zunoticia Pachuca, Hgo.- Abatir las carencias y atender los indicadores de pobreza que persisten en Hidalgo, es una de las tareas que el gobierno que encabeza Julio Menchaca Salazar ha encomendado a la secretaria de Desarrollo Social, Simey Olvera Bautista, es por ello que,… Seguir leyendo SEDESO realizó entrega de cuartos adicionales a personas en alta marginación

Reactiva IHM Redes de Apoyo a Mujeres en Huejutla   

Reunión con funcionariado municipal y estatal con presencia en la Huasteca Por Redacción/Zunoticia Pachuca, Hgo.- Con el fin de activar la Red Municipal para Prevenir, Atender, Sancionar y Erradicar la Violencia contra las Mujeres y Niñas, en el municipio de Huejutla, Bertha Miranda Rodríguez, titular del Instituto Hidalguense de las Mujeres (IHM), se reunió con… Seguir leyendo Reactiva IHM Redes de Apoyo a Mujeres en Huejutla   

Trabajamos sin descanso por la educación de Hidalgo: JMS

El gobernador anunció la construcción del edificio de Ciencias de la Tierra en el Instituto Tecnológico de Pachuca. Manifestó su compromiso de impulsar el mejoramiento de la infraestructura educativa para apoyar el desarrollo personal y profesional de las juventudes hidalguenses. Por Redacción/Zunoticia Pachuca, Hgo.- “La educación sigue siendo la única vía para garantizar el futuro… Seguir leyendo Trabajamos sin descanso por la educación de Hidalgo: JMS

Gabino inaugura liga de Fútbol, organizada por el PAN

Por Redacción/Zunoticia Tlanchinol, Hgo.-  “Tuve la oportunidad de inaugurar la liga de fútbol rápido de comunidades, la cual la organiza el comité directivo municipal de mi Partido Acción Nacional junto con un servidor, agradezco a los equipos de las siguientes comunidades por su participación (Chipoco, Chachala, Apantlazol, Tierra Colorada, Pitzotla, Ixtlapala, Cuatlimax, Citlala, San Cristobal,… Seguir leyendo Gabino inaugura liga de Fútbol, organizada por el PAN