2026-04-20 02:21:26
2026-04-20 02:21:26

Mujeres huautlenses pegaron cartelones

Redacción / Zunoticia Huautla, Hgo. – Este domingo tocó a las mujeres huautlenses la tradicional “pega de cartelones”, una de las actividades que forman parte de programa del Carnaval Huautla 2023. El gobierno local que encabeza Artemio Martínez Rebolledo, a través del comité organizador de los festejos, había convocado a las damas del municipio para… Seguir leyendo Mujeres huautlenses pegaron cartelones

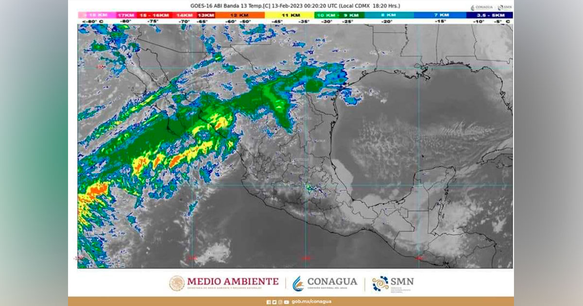
Para la noche de hoy se prevén rachas de viento de 60 a 80 km/h con tolvaneras en el noroeste de México

Durante la noche de este domingo, el Frente Número 32 y la Sexta Tormenta Invernal en el noroeste de México, ocasionarán descenso de temperatura; rachas de viento de 60 a 80 kilómetros por hora (km/h) con tolvaneras en la región; chubascos (de 5 a 25 milímetros [mm]) en Baja California y Sonora; lluvias aisladas (de… Seguir leyendo Para la noche de hoy se prevén rachas de viento de 60 a 80 km/h con tolvaneras en el noroeste de México

Lleva Sedagroh “Los campos de Hidalgo” a plaza Explanada

Por Redacción/Zunoticia Pachuca, Hgo.- Con el objetivo de dar continuidad a la promoción, difusión e incentivar la comercialización y el consumo de los productos elaborados en el estado, la Secretaría de Desarrollo Agropecuario de Hidalgo (Sedagroh) realizará los días 17, 18 y 19 de febrero la exposición agrocomercial “Los campos de Hidalgo en la Explanada”, centro… Seguir leyendo Lleva Sedagroh “Los campos de Hidalgo” a plaza Explanada

Promueve SSH uso de condón, como uno de los métodos más efectivos para prevención de ETS

Por Redacción/Zunoticia Pachuca, Hgo.- El Día Internacional del Condón se conmemora el 13 de febrero, con la finalidad de evitar el contagio de Enfermedades de Transmisión Sexual (ETS) como sida, gonorrea, clamidia, tricomoniasis, sífilis, herpes genital o el virus del papiloma humano. Esta conmemoración fue establecida por la Fundación para el Cuidado del Sida (AIDS… Seguir leyendo Promueve SSH uso de condón, como uno de los métodos más efectivos para prevención de ETS

Destacada participación de Semarnath como gobierno subnacional sustentable

Por Redacción/Zunoticia Pachuca, Hgo.- La titular de la Secretaría de Medio Ambiente y Recursos Naturales de Hidalgo (Semarnath) Mónica Patricia Mixtega Trejo, en representación del Ejecutivo estatal Julio Menchaca Salazar, asistió a la 13 reunión anual del Grupo de Trabajo de Gobernadores sobre Clima y Bosques; llevado a cabo en Mérida, Yucatán. Dicho grupo consiste… Seguir leyendo Destacada participación de Semarnath como gobierno subnacional sustentable

Presenta Cecultah programa del concierto “Canto al amor”

Por Redacción/Zunoticia Pachuca, Hgo.- La Secretaría de Cultura, a través del Consejo Estatal para la Cultura y las Artes de Hidalgo (Cecultah), presentó el programa del concierto “Canto al amor”, que se llevará a cabo este miércoles 15 de febrero en el auditorio Gota de Plata, a las 19:00 horas, con la ejecución musical de… Seguir leyendo Presenta Cecultah programa del concierto “Canto al amor”

Capacitan a delegados

Por Redacción/Zunoticia Huautla, Hgo.- Por instrucciones del alcalde Artemio Martínez Rebolledo, este domingo se llevó a cabo en la Unidad Deportiva de la cabecera municipal una importante reunión a la que asistieron delegados y sus respectivos comités provenientes de las localidades, barrios y colonias del municipio. El motivo fue otorgar a los delegados una capacitación… Seguir leyendo Capacitan a delegados

Mujer víctima de violencia familiar exige justicia

Por Redacción/Zunoticia Huejutla, Hgo.- Mujer víctima de violencia familiar exige justicia y pide que se ejerza acción penal en contra del presunto agresor, debido a que la autoridad ministerial no ha actuado y el agresor sigue libre. Con relación a este caso se han iniciado al menos dos carpetas de investigación, tal como quedaron asentadas… Seguir leyendo Mujer víctima de violencia familiar exige justicia

USE brindará servicios en cabecera de Yahualica

USE prestará servicios en Yahualica.

Por Roberto Meza/Zunoticia Yahualica Hgo.- La Unidad de Servicios Estatales del Gobierno del Estado brindará servicios en la cabecera municipal, esto con la finalidad de acercar los servicios a toda la ciudadanía, por lo están invitando a la población para que acuda a los estands que serán colocados en frente de la presidencia municipal. Los… Seguir leyendo USE brindará servicios en cabecera de Yahualica

Maestros solicitaron al alcalde gestión de escrituras de escuelas

Maestros pidieron apoyo al edil para escrituración de escuelas y construcción de una oficina.

Por Roberto Meza/Zunoticia Yahualica, Hgo.- Directores y maestros de diversas escuelas de esta municipalidad, al sostener una mesa de trabajo con el alcalde Senón Navarro Morales, le solicitaron la gestión de escrituras públicas de sus escuelas para tener la certeza jurídica de esos inmuebles y poder acceder a los apoyos. El alcalde Senón Navarro Morales… Seguir leyendo Maestros solicitaron al alcalde gestión de escrituras de escuelas