2026-04-27 02:22:18
2026-04-27 02:22:18

Las altas temperaturas favorecen los incendios forestales: PC

Protección Civil llama a productores a tener precaución por las quemas agrícolas durante la temporada de sequía.

Por Karen Rivera/Zunoticia Huejutla, Hgo.- Dados los recientes casos de incendios que se han registrado en el municipio y para salvaguardar la integridad de los huejutlenses, el Director de Protección Civil, Otoniel Zenteno Redondo, hizo un llamado a los delegados, comisariados, así como a los productores a evitar las quemas agrícolas, y si estas llegan… Seguir leyendo Las altas temperaturas favorecen los incendios forestales: PC

Rehabilitación del alumbrado se realizó en la Colonia Flavio Crespo

El departamento de Alumbrado Público, realizó la rehabilitación de las lámparas, mismas que se encontraban descompuestas desde hace semanas.

Por Karen Rivera/Zunoticia Huejutla, Hgo.- Alrededor de siete lámparas se rehabilitaron el pasado 8 de marzo en la Colonia Flavio Crespo, con la finalidad de brindar un mejor servicio a la ciudadanía y con ello inhibir los casos de inseguridad en la zona. El delegado del citado sector, Silvestre Téllez Argüelles, informó a los vecinos… Seguir leyendo Rehabilitación del alumbrado se realizó en la Colonia Flavio Crespo

Pide Obispo dialogar para solucionar el problema del agua en Huejutla

José Hiráis Acosta Beltrán.

Por Enedino Hernández/Zunoticia Huejutla, Hgo.- El Obispo de la Diócesis de Huejutla de Reyes, José Hiráis Acosta Beltrán, pide públicamente a las autoridades y a los vecinos de la comunidad que mantiene cerrada las válvulas del suministro de agua a las colonias de Huejutla, que se pongan a dialogar a efecto de solucionar el problema… Seguir leyendo Pide Obispo dialogar para solucionar el problema del agua en Huejutla

Vecinos solicitan retiro de remolques de calles Corona del Rosal y Pino

Solicitan retiro de remolques comerciales de la vía pública

Por Salvador Altamirano/Zunoticia Huejutla, Hgo.- Personas que habitan en la Avenida Corona del Rosal, de la colonia 5 de Mayo, manifestaron que enfrente de las instalaciones de la Comisión Federal de Electricidad (CFE) hay un remolque que en su momento fungió como puesto comercial, el cual ya no está en servicio. Al respecto, trascendió que… Seguir leyendo Vecinos solicitan retiro de remolques de calles Corona del Rosal y Pino

Mujer herida por Impacto de bala

Por Ángel Silverio/Zunoticia San Felipe Orizatlán, Hgo.- Una mujer fue trasladada de emergencia al centro de salud, para posteriormente ser llevada al hospital regional de Huejutla, luego de que recibiera un impacto de bala en la pierna. De acuerdo con los datos obtenidos, los hechos fueron reportados al filo de las 17:00 horas, cuando se… Seguir leyendo Mujer herida por Impacto de bala

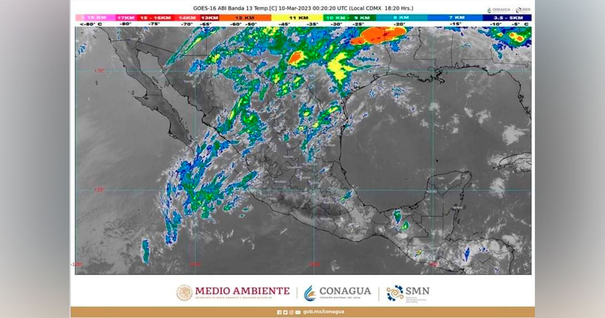
Para la noche de hoy se pronostican lluvias fuertes en Chiapas

En las próximas horas, un canal de baja presión sobre el sureste de México y la humedad proveniente de ambos océanos ocasionarán lluvias fuertes (de 25 a 50 milímetros [mm]) en Chiapas; chubascos (de 5 a 25 mm) en Oaxaca, y lluvias aisladas (de 0.1 a 5 mm) en el Estado de México, Guanajuato, Guerrero,… Seguir leyendo Para la noche de hoy se pronostican lluvias fuertes en Chiapas

PGJEH investiga caso de homicidio en Mecatlán

Por Francisco Rosas/Zunoticia Huejutla, Hgo.- Agentes de la División de Investigación adscritos a la Procuraduría General de Justicia del Estado de Hidalgo (PGJEH) continúan realizando las indagatorias para esclarecer el crimen de habitante de la localidad de Mecatlán, municipio de Yahualica. Como se dio a conocer oportunamente, el hoy occiso de nombre José Ignacio A.… Seguir leyendo PGJEH investiga caso de homicidio en Mecatlán

Vecinos de Los prados exigen más seguridad

Por Francisco Rosas /Zunoticia Huejutla, Hgo.- Vecinos de la colonia Los Prados de esta ciudad solicitan a las autoridades policíacas más vigilancia en esta zona poblacional, principalmente por las noches, debido que presuntamente en algunas calles no hay iluminación y recientemente se han cometido actos delictivos. Los quejosos explicaron que los cuerpos de seguridad casi… Seguir leyendo Vecinos de Los prados exigen más seguridad

Robaron herramienta del Ayuntamiento de Huautla

Por Francisco Rosas/Zunoticia Huautla, Hgo.- Habitantes de Barrio Bajo de la cabecera de este municipio denunciaron la falta de seguridad y vigilancia, ya que en días pasados presuntamente robaron en una bodega del Ayuntamiento del municipio ubicada en la zona limítrofe de la localidad de Las Pilas. Los denunciantes refieren que el robo fue perpetrado… Seguir leyendo Robaron herramienta del Ayuntamiento de Huautla

Presunta intoxicación de alumnos movilizó a policías y Cruz Roja

Por Redacción/Zunoticia Huejutla, Hgo.- El reporte de una presunta intoxicación de alumnos de la Escuela Secundaria 3 “Carlos Fayad Orozco”, ubicada en la colonia Parque de Poblamiento de esta ciudad, movilizó a los cuerpos de Seguridad Pública y paramédicos de la Cruz Roja Mexicana. Fue un poco después de las 12:00 del mediodía de este… Seguir leyendo Presunta intoxicación de alumnos movilizó a policías y Cruz Roja