2026-04-20 02:21:26
2026-04-20 02:21:26

Buscan a Daysi Yereli desaparecida en Huejutla

Por Francisco Rosas/Zunoticia Huejutla, Hgo.- Una joven de 22 años, que desapareció en esta ciudad, es buscada por sus familiares y autoridades. La fémina que está en calidad de extraviada desde el pasado 15 de mayo del año en curso, responde al nombre Daysi Yareli Hernández Bautista. De acuerdo con la ficha de búsqueda emitida… Seguir leyendo Buscan a Daysi Yereli desaparecida en Huejutla

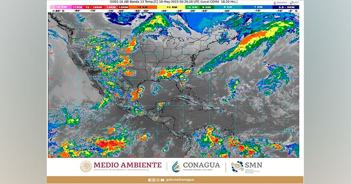
Esta noche, se prevén lluvias muy fuertes en regiones de Nuevo León, Oaxaca, Puebla, San Luis Potosí y Tamaulipas

Durante las próximas horas, se pronostican lluvias muy fuertes (de 50 a 75 milímetros [mm]) en regiones de Nuevo León, Oaxaca, Puebla, San Luis Potosí y Tamaulipas;  fuertes  (de  25  a  50  mm)  en  localidades  de  Chiapas  y  Veracruz; intervalos de chubascos (de 5 a 25 mm) en Chihuahua, Ciudad de México, Coahuila, Durango, Estado… Seguir leyendo Esta noche, se prevén lluvias muy fuertes en regiones de Nuevo León, Oaxaca, Puebla, San Luis Potosí y Tamaulipas

Casi se mata al caer de cabeza

Vecino de Tepexititla herido al caer de su propia altura.

Por Francisco Rosas/Zunoticia Huejutla, Hgo.- Una persona del sexo masculino que se encontraba en estado de ebriedad, casi se mata al perder el equilibrio y caer de su propia altura en las inmediaciones del Mercado Municipal. El incidente sucedió la tarde de este miércoles 17 de mayo, en la avenida Nuevo León esquina con la… Seguir leyendo Casi se mata al caer de cabeza

Desaparece joven de Mangocuatitla 

Por Francisco Rosas/Zunoticia Yahualica, Hgo.- Joven originario de la localidad de Mangocuatitla, perteneciente a este municipio, que se encuentra en calidad de desaparecido desde el pasado 10 de mayo, es buscado por sus familiares y la Comisión de Búsqueda de Personas del Estado de Hidalgo (CBPEH). Se trata de Javier Bautista Martínez, de 21 años,… Seguir leyendo Desaparece joven de Mangocuatitla 

Piden fumigar panteón por abundancia de zancudos

Por Redacción/Zunoticia Huautla, Hgo.- Vecinos de las inmediaciones del panteón municipal piden a las autoridades locales lleven a cabo a la brevedad posible la fumigación del citado espacio, esto debido a la abundancia de zancudos, que desde el pasado 10 de mayo han proliferado. Como es sabido, con motivo de la celebración del Día de… Seguir leyendo Piden fumigar panteón por abundancia de zancudos

Avanza inscripción de productores para asesoría

Por Redacción/Zunoticia Huautla, Hgo.- Ramón Méndez González, quien se ha destacado como promotor del agro en Huautla y otros municipios de la huasteca hidalguense, dio a conocer que la inscripción de productores al programa de asesoría avanza con éxito. Al respecto, el conocido huautlense indicó que a raíz de la firma del convenio entre la… Seguir leyendo Avanza inscripción de productores para asesoría

Elegirán a Señorita Huazalingo en certamen de belleza

5 chicas competirán en el certamen de belleza para Señorita Huazalingo el próximo 18 de mayo.

Por Roberto Meza/Zunoticia Huazalingo, Hgo.- Al menos 5 chicas originarias de este municipio participarán en el certamen de belleza en el marco de las fiesta del Ascensión del Señor, por lo que todas ellas serán presentadas el próximo 18 de mayo en un evento que se realizará en frente del palacio municipal. El ayuntamiento, tras… Seguir leyendo Elegirán a Señorita Huazalingo en certamen de belleza

Coloca STPSH a jornaleros agrícolas en empleos con prestaciones conforme a la ley 

*Nueve cuadrillas han sido enviadas a empresas como Berrymex y Agrícola Bay Hermanos S. A. de C. V. Por Redacción/Zunoticia Pachuca de Soto, Hgo.- Con la finalidad de proporcionar distintas opciones de empleo, dentro y fuera del territorio hidalguense, que cumplan con prestaciones laborales, la Secretaría del Trabajo y Previsión Social de Hidalgo (STPSH), ha colocado… Seguir leyendo Coloca STPSH a jornaleros agrícolas en empleos con prestaciones conforme a la ley 

Imparten capacitación sobre plagas forestales a estudiantes de nivel medio superior 

*Las y los alumnos del Cbtis 8 participaron en el retiro de heno motita que afecta a árboles de dicha institución educativa. Por Redacción/Zunoticia Pachuca de Soto, Hgo.- Como parte del compromiso de la Secretaría de Medio Ambiente y Recursos Naturales de Hidalgo (SEMARNATH), con la comunidad estudiantil del estado, personal de la dirección general… Seguir leyendo Imparten capacitación sobre plagas forestales a estudiantes de nivel medio superior 

Hidalgo Vintage 2023

exhibición de vehículos Por Redacción/Zunoticia Pachuca de Soto, Hgo.-La Secretaría de Turismo, en coordinación con la Delegación Hidalgo de la Comisión Nacional Vintage y sus Clubes Asociados, dieron a conocer detalles de la exhibición de autos históricos y clásicos que han sido reconocidos en los principales eventos del país por su originalidad, elegancia y en excelentes… Seguir leyendo Hidalgo Vintage 2023