2026-04-21 02:21:27
2026-04-21 02:21:27

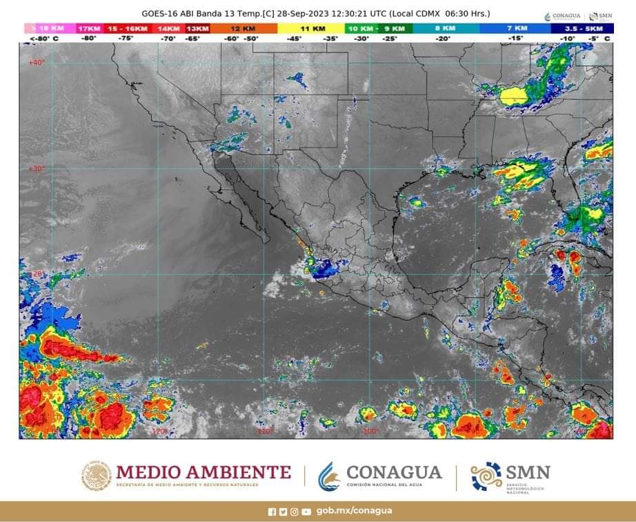
Se mantiene, durante las próximas horas, el pronóstico de lluvias intensas en Colima y Jalisco por el huracán Norma

Por Redacción/Zunoticia CDMX. – Durante las próximas horas, las extensas bandas nubosas del huracán Norma, de categoría 3 en la escala Saffir-Simpson, generarán lluvias intensas (de 75 a 150 milímetros [mm]) en Colima y Jalisco; muy fuertes (de 50 a 75 mm) en Guerrero, Michoacán y Nayarit; chubascos (de 5 a 25 mm) en Baja… Seguir leyendo Se mantiene, durante las próximas horas, el pronóstico de lluvias intensas en Colima y Jalisco por el huracán Norma

EVAR campeón al vencer al CECyTEH en la LMVBH

EVAR derrotó en 3 sets: 25 – 23, 21 – 25, y 17 – 15 al CECyTEH en la final de la LMVBH.

Por José Luis Romero Ruiz/Zunoticia Huejutla, Hgo.- En trepidante encuentro el juvenil equipo de la Escuela de Voleibol de Alto Rendimiento (EVAR), se enfrentó a la selección femenil del Colegio de Estudios Científicos y Tecnológicos del Estado de Hidalgo (CECyTEH), plantel Huejutla en la final de la rama femenil del torneo de liga 2023 de… Seguir leyendo EVAR campeón al vencer al CECyTEH en la LMVBH

Cayro pentacampeón de la LMVBH

Cayro pentacampeón en la rama varonil de la LMVBH.

Por José Luis Romero Ruiz/Zunoticia Huejutla, Hgo.- El equipo varonil de Cayro se midió al conjunto CNVC Junior en la final de la rama varonil del torneo de liga 2023 de la Liga Municipal de Voleibol de Huejutla (LMVBH); al final derrotó 25 – 17 y 25 – 14 a CNVC Junior. El juego de… Seguir leyendo Cayro pentacampeón de la LMVBH

Amistad “reprobó” a Kuextekatl en la LMBH

Amistad “reprobó ” 79 – 21 a Kuextekatl en J5 de la LMBH.

Por José Luis Romero Ruiz/Zunoticia Huejutla, Hgo.- El experimentado equipo de Amistad llegó con toda su artillería y enfrentó a los alumnos de la Escuela Municipal de Básquetbol de Huejutla “Kuextekatl” en la continuación de la jornada 5 de la Liga Municipal de Básquetbol de Huejutla (LMBH); al final Amistad derrotó 79 – 21 a… Seguir leyendo Amistad “reprobó” a Kuextekatl en la LMBH

Agenda Deportiva

Miguel Sabino Acuña Ramírez, presidente de la LMBH.

Por José Luis Romero Ruiz/Zunoticia J6 de la LMFVM Huejutla, Hgo.- El presidente de la Liga Municipal de Fútbol de Veteranos Máster (LMFVM), Miguel Sabino Acuña Ramírez, informó que arrancará la actividad de la jornada 6 de la 2da vuelta del torneo de copa 2023 denominado “José Eugenio Segura Marroquín”. Acuña Ramírez presentó el rol… Seguir leyendo Agenda Deportiva

ESPEJEANDO por Perseo

• ¿SABÍA USTED que en Yahualica ya gobernó una mujer? Tendrían el dato los habitantes que en 1975 cuando era presidente Erasmo Rodríguez, (finado), por amenazas e intimidaciones de los terratenientes y caciques del momento se vio obligado a renunciar al encargo en el último año de su gobierno. • María Mercedes Torres Rodríguez era… Seguir leyendo ESPEJEANDO por Perseo

Habitantes de Progreso agradecen apoyo del alcalde

Habitantes de Progreso agradecieron al alcalde Artemio Martínez Rebolledo, por los beneficios otorgados.

Por Karen Rivera/Zunoticia Huautla, Hgo.- Ante la dura sequía que estaban atravesando en la comunidad de Progreso y no contar con recursos para la adquisición de tinacos, el presidente municipal, realizó las gestiones para hacer llegar este beneficio a la comunidad. Con la solidaridad que siempre lo ha caracterizado, el presidente municipal, Artemio Martínez Rebolledo,… Seguir leyendo Habitantes de Progreso agradecen apoyo del alcalde

Entregaron tinacos a bajo costo

Continúa la entrega de tinacos a bajo costo.

Por Karen Rivera/Zunoticia Huautla, Hgo.- A través del programa de Corresponsabilidad Social se llevó a cabo la entrega de tinacos. Nuevamente la Dirección de Desarrollo Económico, a cargo de Roberto Villegas, y por encomienda del presidente municipal, Artemio Martínez Rebolledo, llevó a cabo la entrega de tinacos subsidiados. En esta tanda de entregas se hizo… Seguir leyendo Entregaron tinacos a bajo costo

Artemio Rebolledo supervisó tramo carretero de Cojolite a Coatzonco

El alcalde Artemio Martínez Rebolledo llevó a cabo un recorrido de verificación en el tramo Cojolite a Coatzonco.

Por Karen Rivera/Zunoticia Huautla, Hgo.- Con el propósito de entregar obras de calidad, el presidente municipal Artemio Martínez Rebolledo, llevó a cabo el recorrido sobre el tramo carretero crucero de Cojolite a Coatzonco, con la finalidad de que los ingenieros encargados de la obra construyan muros de contención y refuercen la rehabilitación de dicha rúa.… Seguir leyendo Artemio Rebolledo supervisó tramo carretero de Cojolite a Coatzonco

En Tohuaco I rehabilitaron el cárcamo de agua

Rehabilitación del cárcamo en Tehuaco I.

Por Karen Rivera/Zunoticia Huautla, Hgo.- Por las malas condiciones en las que se encontraba el cárcamo de la comunidad de Tohuaco I, se llevó a cabo la rehabilitación de este para suministrar el servicio a la localidad. Bajo la encomienda del Presidente Municipal, Artemio Martínez Rebolledo; el Director de Obras Públicas, Joaquín Téllez, llevó a… Seguir leyendo En Tohuaco I rehabilitaron el cárcamo de agua