2026-04-25 02:21:52
2026-04-25 02:21:52

Necesaria la creación de área de Protección Animal

Por Ángel Silverio/Zunoticia San Felipe Orizatlán, Hgo.- Ante la nula intervención de autoridades en casos de maltrato animal, al no existir un departamento que se encargue del cuidado de los animales, ciudadanos piden la creación de un departamento que vele por los derechos de los animales ante los casos de maltrato que existen para estos… Seguir leyendo Necesaria la creación de área de Protección Animal

Lluvias recientes, benéficas para los Apicultores y demás productores del campo

Ismael Marcos Julián.

Por Enedino Hernández/Zunoticia Huejutla, Hgo.- Las lluvias que han caído recientemente en la región son muy benéficas para los productores del campo de esta zona de Hidalgo, la maleza está verde, los cultivos empiezan a mejorar, y para el caso de los Apicultores ya se empieza a ver un poco más del trabajo que realizan… Seguir leyendo Lluvias recientes, benéficas para los Apicultores y demás productores del campo

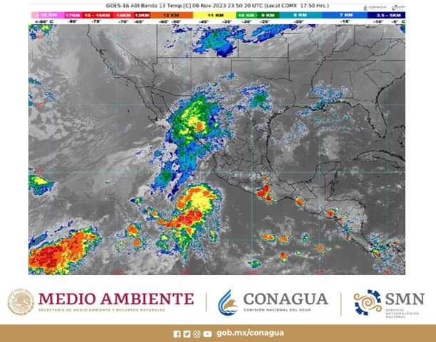
Durante la noche de hoy y madrugada de mañana se prevén lluvias puntuales fuertes sobre gran parte de México

Por Redacción/Zunoticia Ciudad de México.- Para las próximas horas se pronostica que un canal de baja presión que se extenderá desde el noroeste hasta el centro de México, en interacción con el abundante ingreso de humedad provocado por la corriente en chorro subtropical, así como el frente frío número 9, localizado sobre la frontera norte… Seguir leyendo Durante la noche de hoy y madrugada de mañana se prevén lluvias puntuales fuertes sobre gran parte de México

Convocan a artesanos a participar en concurso regional de artesanías

Por Ángel Silverio /Zunoticia Jaltocán, Hgo. – El área de Cultura municipal de esta demarcación, hizo un llamado a los artesanos locales, a participar en el concurso regional de artesanías, sabedores de que en este municipio abunda un gran talento. Isaías Montaño, titular de Cultura en Jaltocán, señaló que se está haciendo la invitación a… Seguir leyendo Convocan a artesanos a participar en concurso regional de artesanías

Alcaldesa participó en presentación del Festival de las Huastecas

Por Ángel Silverio/ Zunoticia San Felipe Orizatlán, Hgo. –  La mañana de este martes, la alcaldesa Erika Saab Lara, participó en la conferencia de prensa para la presentación del programa oficial del XXVI Festival de la Huasteca, la cual fue presidida por la secretaria de Cultura del Estado, Tania Meza Escorza, acompañada por Guillermo Olivares… Seguir leyendo Alcaldesa participó en presentación del Festival de las Huastecas

Cables de TELMEX colgando por doquier incomodan a transeúntes

Por Salvador Altamirano/Zunoticia Huejutla, Hgo.- Habitantes de la población, exhortan a los directivos de la empresa Teléfonos de México (TELMEX), a que implemente un proyecto integral de tensado de líneas aéreas o en su defecto el retiro de las ya no utilizadas. Detallaron que, el anterior exhortó ciudadano se deriva porque continuamente se encuentran colgando… Seguir leyendo Cables de TELMEX colgando por doquier incomodan a transeúntes

Buscan dependencias prevenir embarazo adolescente y violencia de género en la Huasteca 

Por Redacción/Zunoticia Pachuca de Soto, Hgo.- El Grupo Estatal de Prevención del Embarazo en Adolescentes (GEPEA), realizó acciones de prevención para erradicar la violencia contra las mujeres y evitar embarazos en niñas y adolescentes, en la Huasteca, dirigidas a estudiantes  y población en general, informó Bertha Miranda Rodríguez, secretaria técnica del organismo y directora general… Seguir leyendo Buscan dependencias prevenir embarazo adolescente y violencia de género en la Huasteca 

Titular de Sectur realiza gira por la Huasteca hidalguense

Por Redacción/Zunoticia Pachuca de Soto, Hgo.- El gobierno del estado de Hidalgo, bajo el liderazgo de Julio Menchaca Salazar, se ha comprometido a estar presente en cada rincón del estado para escuchar y atender las necesidades de la población. En consonancia con lo anterior, la secretaria de Turismo, Elizabeth Quintanar Gómez, se encuentra de gira… Seguir leyendo Titular de Sectur realiza gira por la Huasteca hidalguense

Desarrollará Sedeco actividades para el crecimiento empresarial de las hidalguenses

Por Redacción/Zunoticia Pachuca de Soto, Hgo.- Desarrollar actividades para el crecimiento empresarial de las mujeres en Hidalgo es un paso importante hacia la equidad de género y el fortalecimiento del tejido económico local, precisó el secretario de Desarrollo Económico (Sedeco), Carlos Henkel Escorza, durante la presentación del programa de actividades de la Semana Mujer MiPyME… Seguir leyendo Desarrollará Sedeco actividades para el crecimiento empresarial de las hidalguenses

Refrenda Menchaca Salazar compromiso con la salud de la población hidalguense

Por Redacción/Zunoticia Pachuca de Soto, Hgo.- Durante la entrega del Reconocimiento al Mérito de la y el Trabajador de la Salud, el gobernador de Hidalgo, Julio Menchaca Salazar, refrendó el compromiso de su administración con la mejora de las condiciones en las que se encuentra el sector en la entidad, tanto para pacientes como para… Seguir leyendo Refrenda Menchaca Salazar compromiso con la salud de la población hidalguense