2025-10-27 12:49:39

Para este día, se prevén lluvias muy fuertes en el oriente, centro y sureste de México, incluida la Península de Yucatán

Se pronostican lluvias de fuertes a intensas, nevadas y vientos fuertes para el noroeste y norte de México

Por Redacción/Zunoticia Ciudad de México.- Durante las próximas horas, el frente frío número 19 y la segunda tormenta invernal de la temporada 2023-2024 ocasionarán lluvias puntuales intensas (de 75 a 150 milímetros [mm]) en Baja California y Sonora, muy fuertes (de 50 a 75 mm) en Chihuahua, fuertes (de 25 a 50) en Baja California… Seguir leyendo Se pronostican lluvias de fuertes a intensas, nevadas y vientos fuertes para el noroeste y norte de México

Prevalecerá el ambiente nocturno de frío a muy frío, con heladas en el noroeste, norte, noreste, centro y oriente de México

Por Redacción/Zunoticia Ciudad de México.- Durante la noche de hoy y la madrugada de mañana, miércoles, la masa de aire frío que impulsó al frente número 17 mantendrá el ambiente matutino y nocturno de frío a muy frío, con heladas en el noroeste, norte, noreste, centro y oriente de México, así como el ambiente gélido,… Seguir leyendo Prevalecerá el ambiente nocturno de frío a muy frío, con heladas en el noroeste, norte, noreste, centro y oriente de México

Esta noche persistirá el ambiente de frío a muy frío, con heladas en la madrugada del martes, en gran parte de México

Por Redacción/Zunoticia Ciudad de México.- Durante la noche de hoy, la masa de aire frío asociada al sistema frontal número 17 mantendrá el ambiente de frío a muy frío, con heladas en la madrugada del martes, en gran parte de la República Mexicana, viento de componente norte con rachas de 70 a 90 kilómetros por… Seguir leyendo Esta noche persistirá el ambiente de frío a muy frío, con heladas en la madrugada del martes, en gran parte de México

Dos a uno le gana en votación Fayad al PRI y al PAN en el Senado

Por Redacción/Zunoticia Ciudad de México.- Las senadoras Martha Lucía Micher, María Merced González, así como los senadores, Ricardo Monreal y César Cravioto, hablaron a favor de la propuesta de Fayad Meneses, resaltando su trayectoria política y plan de trabajo, entre otros aspectos. Así, luego de que el presidente propuso a Omar Fayad como embajador del… Seguir leyendo Dos a uno le gana en votación Fayad al PRI y al PAN en el Senado

Jóvenes Construyendo el Futuro recibirán su apoyo este viernes

Por Redacción/Zunoticia Ciudad de México. – La Secretaría del Trabajo y Previsión Social, a través del Programa Jóvenes Construyendo el Futuro, informa que el programa Jóvenes Construyendo el Futuro (PJCF) es un Programa para el Bienestar del Gobierno de México que tiene como finalidad brindar oportunidades de Capacitación para el trabajo a jóvenes de 18… Seguir leyendo Jóvenes Construyendo el Futuro recibirán su apoyo este viernes

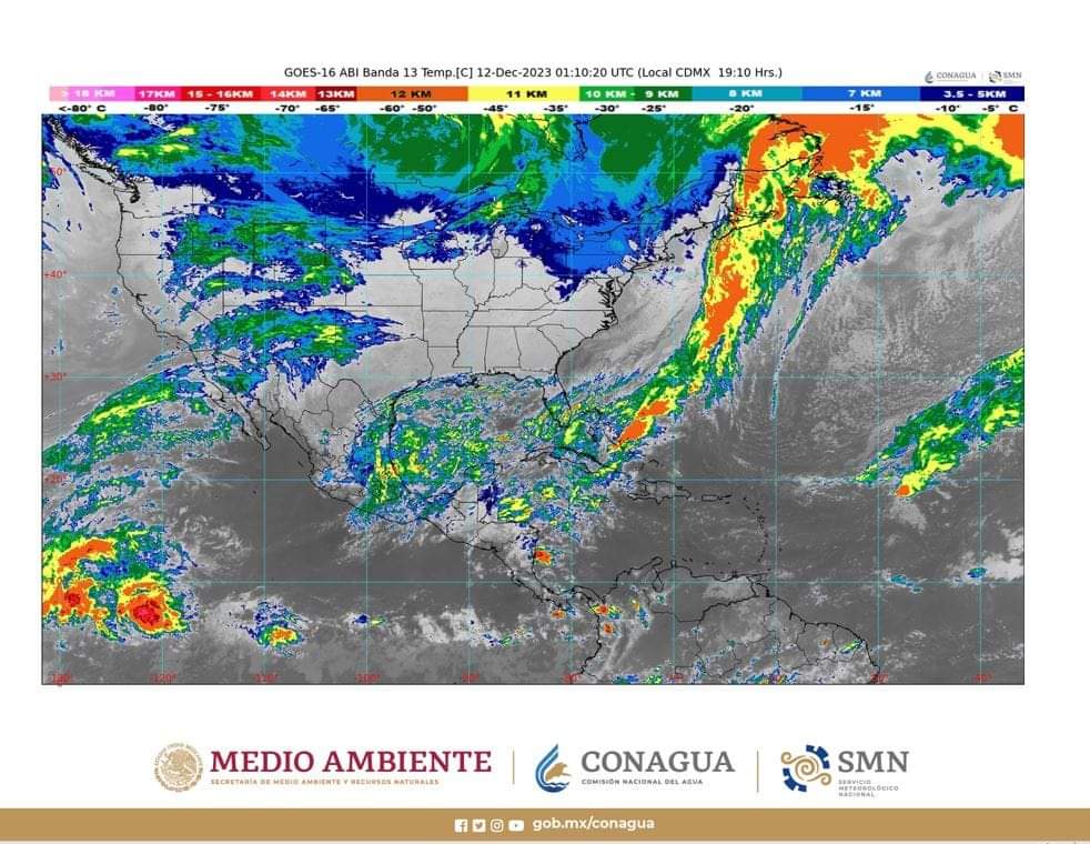
Se pronostican lluvias muy fuertes en regiones de Quintana Roo y Yucatán

Para este miércoles se prevén lluvias muy fuertes (de 50 a 75 milímetros [mm]) en regiones de Quintana Roo y Yucatán; fuertes (de 25 a 50 mm) en localidades de Campeche, Chiapas, Coahuila, Nuevo León, Oaxaca, Tabasco, Tamaulipas y Veracruz; intervalos de chubascos (de 5 a 25 mm) en Hidalgo, Puebla, Querétaro y San Luis… Seguir leyendo Se pronostican lluvias muy fuertes en regiones de Quintana Roo y Yucatán

Se prevé ambiente de frío a muy frío en gran parte de México durante las siguientes horas 

Por Redacción/Zunoticia Ciudad de México.- Durante las próximas horas, persistirá el ambiente de frío a muy frío con posibles heladas y bancos de niebla en el noroeste, norte, noreste, centro, oriente y sureste de México, además de ambiente gélido con temperaturas inferiores a -5 grados Celsius en zonas altas de Chihuahua, Durango y Sonora.  Asimismo,… Seguir leyendo Se prevé ambiente de frío a muy frío en gran parte de México durante las siguientes horas 

Desde Puebla, Claudia Sheinbaum destaca los logros alcanzados durante el gobierno de AMLO

Por Redacción/Zunoticia Tehuacán, Puebla, a 7 de diciembre de 2023.- “Cuando se apoya al que menos tiene, cuando se comparte la prosperidad, entonces México florece”, fue el mensaje de la precandidata de la coalición “Sigamos Haciendo Historia” a la Presidencia de la República, Claudia Sheinbaum Pardo, durante su encuentro con militantes de Tehuacán, Puebla, donde… Seguir leyendo Desde Puebla, Claudia Sheinbaum destaca los logros alcanzados durante el gobierno de AMLO

Durante este día se prevén lluvias puntuales muy fuertes en Chiapas y el sur de Veracruz