2026-04-26 02:22:09
2026-04-26 02:22:09

ESPEJEANDO por Perseo

• La huasteca hidalguense no está lejos del consumo de drogas en escuelas secundarias y media superior, quien lea esto podrá decir que los medios somos alarmistas o acusar que buscamos desacreditar, pero en lo más cercano de su persona, cualquier directivo escolar sabe que sino enfrentamos esto juntos será difícil poder combatir el problema.… Seguir leyendo ESPEJEANDO por Perseo

Inicia Feria Intercultural Otomí-Tepehua “Vida Café”, en Hidalgo

El subsecretario Raúl Paulín anuncia la participación de 700 sembradoras y sembradores del programa Sembrando Vida. La inversión social en el estado es superior a mil 500 mdp desde 2020 y beneficia a 25 municipios. Por Redacción/Zunoticia Ciudad de México.- Para impulsar el trabajo de sembradoras y sembradores del estado de Hidalgo, donde el cultivo… Seguir leyendo Inicia Feria Intercultural Otomí-Tepehua “Vida Café”, en Hidalgo

Lámparas sin encender

Por José Luis Romero Ruiz/Zunoticia Huejutla, Hgo.- De las 18 luminarias del auditorio municipal de esta ciudad, encienden 14, y 4 están sin funcionar y casualmente están ubicadas en la media cancha como se puede observar en la imagen.

Agenda Deportiva

Jesús Manuel Higuerón Hernández, presidente de la LMFFIS, la LMFF, y la LMFIS.

Por José Luis Romero Ruiz/Zunoticia Suspenden LMFF, la LMFFIS, y LMFIS Huejutla, Hgo.- El presidente de la Liga Municipal de Fútbol Femenil Inter Secundarias (LMFFIS), la Liga Municipal de Fútbol Femenil (LMFF),y la Liga Municipal de Fútbol Inter Secundarias (LMFIS), Jesús Manuel Higuerón Hernández informó que, suspendió las jornadas deportivas debido a la humedad de… Seguir leyendo Agenda Deportiva

CECyTEH “reprobó” a Friends en LMVBH

Las chicas del CECyTEH vencieron en 2 sets: 25 – 13, y 25 – 13 a Friends en la LMVBH.

Por José Luis Romero Ruiz/Zunoticia Huejutla, Hgo.- El representativo del Colegio de Estudios Científicos y Tecnológicos del Estado de Hidalgo (CECyTEH), se enfrentó al equipo Friends en la pretemporada de la Liga Municipal de Voleibol de Huejutla (LMVBH); al final el cuadro estudiantil venció en 2 sets: 25 – 13, y 25 – 13 a… Seguir leyendo CECyTEH “reprobó” a Friends en LMVBH

84 Batallón “fusilo” a Rancho Viejo en LMFV

El 84 Batallón “fusilo” 7 – 1 a Rancho Viejo en la J20 de ña LMFV.

En otros resultados: Abarrotes San Judas Tadeo 2 – 0 (por de faul), y Atlético Tlanchinol 8 – 2 al Deportivo LG Por José Luis Romero Ruiz/Zunoticia Huejutla, Hgo.- El equipo del 84 Batallón se midió al cuadro de Rancho Viejo en la conclusión de la jornada 20 del torneo de liga 2022-2023 denominado “Raúl… Seguir leyendo 84 Batallón “fusilo” a Rancho Viejo en LMFV

Natividad Castrejón entregó medallas y reconocimientos a docentes

Por Redacción/Zunoticia Pachuca, Hgo.- El secretario de Educación Pública de Hidalgo, Natividad Castrejón Valdez, acompañado de la secretaria de Salud de Hidalgo, María Zorayda Robles Barrera, encabezó la Entrega de Medallas y Reconocimientos a la Práctica Educativa implementada durante la contingencia sanitaria ocasionada por el virus SARS-CoV2, a docentes de Educación Básica y Media Superior… Seguir leyendo Natividad Castrejón entregó medallas y reconocimientos a docentes

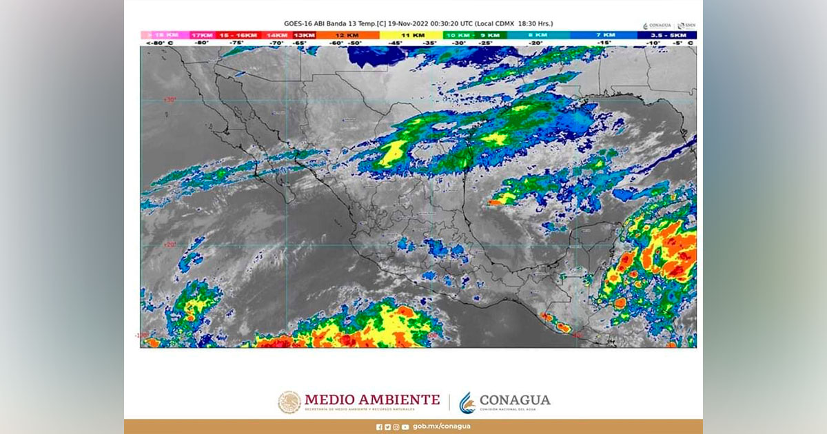
El sistema frontal número 9 mantendrá lluvias torrenciales en Tabasco, y fuertes rachas de viento en Chiapas y Oaxaca

El Frente Frío Número 10 en la frontera norte de México, ocasionará vientos fuertes con tolvaneras. Se prevé descenso de las temperaturas y ambiente de frío a muy frío sobre la Mesa del Norte y la Mesa Central. El sistema frontal número 9 se mantendrá con características de estacionario sobre la Península de Yucatán y… Seguir leyendo El sistema frontal número 9 mantendrá lluvias torrenciales en Tabasco, y fuertes rachas de viento en Chiapas y Oaxaca

Propone Menchaca aumento global del 14% al presupuesto 2023

Con políticas de austeridad, fortalecerá presupuestalmente los rubros de educación, seguridad, cultura y otros en beneficio del pueblo. Inician Brigadas del Bienestar para la Salud en El Arenal. Por Redacción/Zunoticia El Arenal, Hgo.- Durante gira de trabajo en el municipio de El Arenal, el gobernador Julio Menchaca Salazar anunció que presentó ante el Congreso de… Seguir leyendo Propone Menchaca aumento global del 14% al presupuesto 2023

Organiza PC Hidalgo curso integral de pirotecnia

Participaron 200 integrantes de las unidades locales de Protección Civil de 65 municipios Por Redacción/Zunoticia Pachuca, Hgo.- Con la participación de 200 integrantes de las unidades locales de Protección Civil de 65 municipios de la entidad, se llevó a cabo el “Curso integral de pirotecnia”, impartido por personal del Instituto Mexiquense de la Pirotecnia, organismo… Seguir leyendo Organiza PC Hidalgo curso integral de pirotecnia