2026-04-19 02:21:18
2026-04-19 02:21:18

Más de 100 millones de pesos se pagaron en programas este mes

Abraham Mendoza Centeno, Delegado Federal del programa Bienestar.

Por Karen Rivera/Zunoticia Huejutla de Reyes, Hgo.- “Casi ciento ocho millones de pesos fueron los que se distribuyeron en este mes de pagos de los programas, adultos mayores, personas con discapacidad y programa bienestar para niños, niñas, hijos de madres trabajadoras, la gente que recibe este efectivo lo gasta en su propia comunidad, lo que… Seguir leyendo Más de 100 millones de pesos se pagaron en programas este mes

Acribillaron a vaquero

Acribillaron a vaquero en un rancho de Chiconamel.

Por Francisco Rosas/Zunoticia Chiconamel, Ver.- Una persona de la tercera edad que se desempeñaba como vaquero en un rancho, fue acribillado a balazos. El hoy occiso fue identificado como Pablo A. S., de 70 años, quien radicaba en el rancho La Rivera y los hechos se registraron a la orilla del camino de terracería que… Seguir leyendo Acribillaron a vaquero

Elogian a Reglamentos por no autorizar Tianguis de Semana Santa

Jaime del Ángel.

Por Enedino Hernández/Zunoticia Huejutla, Hgo.- Comerciantes de la nave principal del Mercado Municipal “elogian” la actitud asumida por el responsable del área de Reglamentos de la Presidencia Municipal al no autorizar el Tianguis de Semana Santa 2023. Jaime del Ángel, conocido comerciante del mercado, señaló puntualmente que la decisión tomada por la dirección de Reglamentos… Seguir leyendo Elogian a Reglamentos por no autorizar Tianguis de Semana Santa

Entregan Certificados de Calidad ISO 9001 a Módulos de Atención Ciudadana del INE

Por Enedino Hernández/Zunoticia Huejutla, Hgo.- Integrantes de la Junta Local del Instituto Nacional Electoral (INE) en Hidalgo, realizaron durante este martes 28 de marzo una visita de supervisión a las instalaciones de la 01 Junta Distrital del INE en Huejutla de Reyes, en donde además entregaron los Certificados del Sistema de Gestión de la Calidad… Seguir leyendo Entregan Certificados de Calidad ISO 9001 a Módulos de Atención Ciudadana del INE

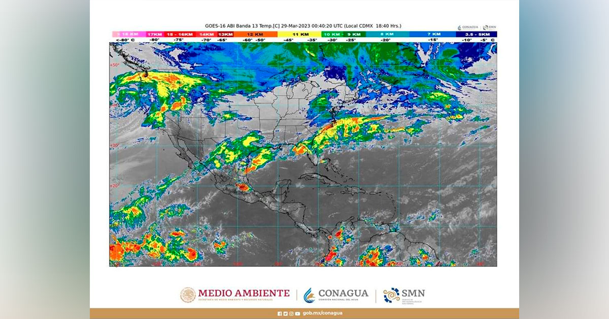
Para las próximas horas se mantiene el pronóstico de lluvias intensas en el noreste de México

Para la noche de hoy y la madrugada de mañana, miércoles, se pronostican lluvias puntuales intensas (de 75 a 150 milímetros [mm]) en zonas de Nuevo León y Tamaulipas, muy fuertes (de 50 a 75 mm) en sitios de Coahuila y San Luis Potosí, intervalos de chubascos (de 5 a 25 mm) en Chihuahua y… Seguir leyendo Para las próximas horas se mantiene el pronóstico de lluvias intensas en el noreste de México

Instalación del comité del Banco Bienestar ayudará a los beneficiarios

Abraham Mendoza Centeno, Delegado Federal del programa Bienestar y el presidente municipal, Daniel Andrade Zurutuza.

Por Karen Rivera/Zunoticia Huejutla de Reyes, Hgo.- Durante la mañana de este martes 28 de marzo, en conocido restaurante se llevó a cabo una rueda de prensa con la finalidad de dar a conocer sobre la instalación del comité del Banco de Bienestar, así como los diversos programas que se manejan a través del mismo.… Seguir leyendo Instalación del comité del Banco Bienestar ayudará a los beneficiarios

Se derrumba parte de barda metálica de andador en la ribera del río

Se derrumba trecho de barda metálica

Por Salvador Altamirano/Zunoticia Huejutla, Hgo.- Conductores de unidades del transporte rural – mixto, cuya base se encuentra en la Avenida Melchor Ocampo, de la colonia Juárez, manifestaron que también tienen acceso por la calle Sonora, a través de un andador que bordea el río. Agregaron que ese pasillo es muy utilizado por los usuarios de… Seguir leyendo Se derrumba parte de barda metálica de andador en la ribera del río

Pide abogado estar alertas y evitar caer en llamadas extorsionadoras

Jairo Alfonso Mar Reyes.

Por Enedino Hernández/Zunoticia Huejutla, Hgo.- El abogado Jairo Alfonso Mar Reyes hace un llamado a la población de esta zona de la Huasteca para que, si no conocen el número que no respondan las llamadas a su celular, pues en muchas de las ocasiones son llamadas de personas extorsionadoras las que mediante diversas estrategias piden… Seguir leyendo Pide abogado estar alertas y evitar caer en llamadas extorsionadoras

Solicitan retiro de maleza en paredes de Iglesia Catedral

Exhortan a retirar maleza de paredes de la Iglesia de Cristo Rey.

Por Salvador Altamirano/Zunoticia Huejutla, Hgo.- Personas que profesan la religión católica manifestaron que, ante la proximidad de Semana Santa tendiente a efectuarse del 2 al 8 de abril, es necesario que se limpien de maleza las paredes de la Iglesia Catedral, la cual en esas fechas será visitada por miles de creyentes. Agregaron que Semana… Seguir leyendo Solicitan retiro de maleza en paredes de Iglesia Catedral

Brindan información del censo de gobiernos municipales

Brindaron información del censo nacional.

Por Roberto Meza/Zunoticia Huazalingo, Hgo.- Autoridades municipales este día participaron en una reunión que se llevó a cabo en el Auditorio Municipal con la finalidad de informar a todos los presentes del censo nacional que se habrá de llevar a cabo en los ayuntamientos. En el acto el Presidente Municipal Julio César González García estuvo… Seguir leyendo Brindan información del censo de gobiernos municipales