2026-02-01 23:30:01
2026-02-01 23:30:01

ESPEJEANDO Por Perseo

A más de 48 horas de estar bloqueadas las carreteras Tres Huastecas y Federal 105 en puntos diversos, no se vislumbra una salida que permita restablecer la normalidad simplemente, porque los autores de este estrangulamiento vehicular no ceden a su exigencia – válida para muchos e inválida para otros más, según la óptica individual –… Seguir leyendo ESPEJEANDO Por Perseo

No hay denuncia por bloqueo de carretera

Personal de la PGJEH informó que ningún funcionario de gobierno denunció por ataques a las vías de comunicación. Por Redacción/Zunoticia Huejutla, Hgo. – Personal de la Procuraduría General de Justicia del Estado de Hidalgo (PGJEH), informó que hasta el momento no hay ninguna denuncia por el bloqueo en el crucero de la carretera Tres Huastecas.… Seguir leyendo No hay denuncia por bloqueo de carretera

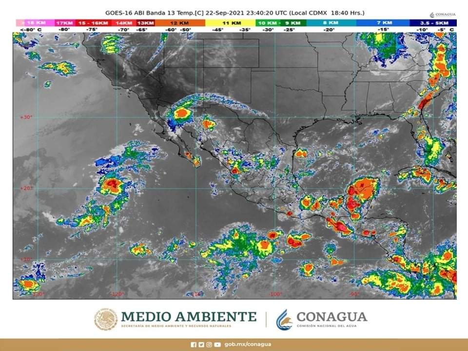
Se pronostican lluvias intensas en zonas de Chiapas, Hidalgo, Puebla, San Luis Potosí, Tabasco, Tamaulipas y Veracruz

Para la mañana del jueves, se estiman temperaturas mínimas de 0 a 5 grados Celsius en zonas altas de Chihuahua, Ciudad de México, Durango, Estado de México, Hidalgo, Michoacán, Puebla y Tlaxcala. Por Redacción/Zunoticia Ciudad de México, CDMX. – Durante la noche de hoy y la madrugada de mañana, jueves, el Frente Frío Número 1… Seguir leyendo Se pronostican lluvias intensas en zonas de Chiapas, Hidalgo, Puebla, San Luis Potosí, Tabasco, Tamaulipas y Veracruz

Importante atender en lengua materna a ciudadanos

Por León Eduardo Fernández Huesca/Zunoticia Xochiatipan, Hgo. – Aureliano Martínez Hernández, Secretario general del ayuntamiento de Xochiatipan, brinda atención personalizada y de calidad a los ciudadanos de este sitio, dando cumplimiento a las instrucciones que en ese sentido ha girado el alcalde Oscar Bautista Gutiérrez. Atender en lengua materna a la gente que acude a… Seguir leyendo Importante atender en lengua materna a ciudadanos

En alerta y monitoreo se mantiene PC por lluvias torrenciales

Por Ángel Silverio/ Zunoticia Jaltocán, Hgo. – En constante monitoreo y alerta, se encuentra el departamento de Protección Civil, debido a la presencia de lluvias, por lo que hicieron la recomendación a las familias a estar alertas en caso de ser necesario desalojar sus viviendas. Ante la presencia de lluvias, Protección Civil a cargo de… Seguir leyendo En alerta y monitoreo se mantiene PC por lluvias torrenciales

Avanzan obras de impacto en Ahuatitla

Por Ángel Silverio/ Zunoticia San Felipe Orizatlán, Hgo. –  Gracias a la gestión que han venido realizando las autoridades de la delegación de Ahuatitla, se ejecutan obras de alto impacto a beneficio de la población. Hermenegildo Hernández Bautista, delegado de la citada comunidad, señaló que el pasado inicio de semana, el secretario municipal acompañado del… Seguir leyendo Avanzan obras de impacto en Ahuatitla

Buscan gestionar apoyos para productores agrícolas

Por Ángel Silverio/Zunoticia Jaltocán, Hgo. – “Debemos ver por la gente de nuestras comunidades, trabajar porque sus productos que cosechan tengan el precio justo, en la comisión de asuntos indígenas, estamos trabajando para que a nuestra gente en las comunidades les vaya mejor”. Señaló lo anterior, Adriana Nava Hernández, regidora priísta con la comisión en… Seguir leyendo Buscan gestionar apoyos para productores agrícolas

Alcaldía rehabilita carreteras en todo el municipio

Por Roberto Meza/Zunoticia Huazalingo, Hgo. – El gobierno municipal que preside Julio César Gonzáles García, está trabajando en la rehabilitación de carreteras rurales, ya que después del paso del huracán las dejó en muy malas condiciones, por lo que con maquinaria pesada se les está dando el mantenimiento para bien de la gente. El presidente… Seguir leyendo Alcaldía rehabilita carreteras en todo el municipio

Ventas a la baja a pesar del cambio de semáforo epidemiológico: CNOP

Por Enedino Hernández/Zunoticia Huejutla, Hgo. – “A pesar del cambio del semáforo epidemiológico que actualmente se mantiene en color amarillo por la contingencia sanitaria, las ventas se encuentran muy bajas y no se tiene mejoría alguna, situación que afecta seriamente a todos quienes nos dedicamos a la actividad comercial”, así lo señaló el coordinador regional… Seguir leyendo Ventas a la baja a pesar del cambio de semáforo epidemiológico: CNOP

Herido al caerle una roca

Por Roberto Meza/Zunoticia Yahualica, Hgo. – Un albañil estuvo a punto de que una roca le aplastara la mano, después de que trabajara en la construcción de una barda, pero una piedra le cayó; Este fue llevado al centro de salud del municipio para su atención médica. El albañil de nombre Dionicio N. N., de… Seguir leyendo Herido al caerle una roca